Log In/Sign Up
Your email has been sent.
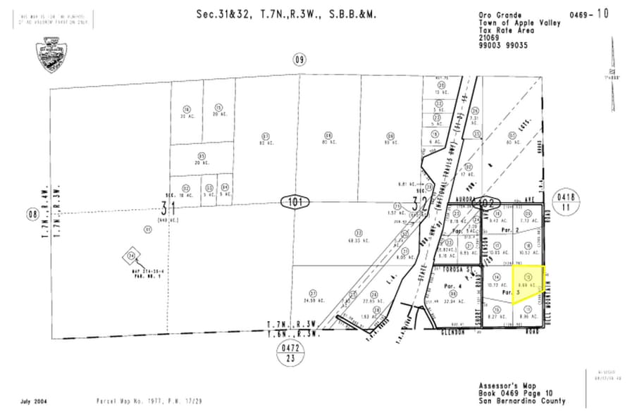
0 Bell Mountain Rd
Apple Valley, CA 92307
Land For Sale
·
9.69 AC


Investment Highlights
- Approximately 540 ft of frontage on Bell Mountain Rd
- Surrounded by projects of scale
- Quick access to Interstate 15
- Proximity to Brightline West’s Victor Valley Station
Executive Summary
±9.69 acres of unimproved land for sale on Bell Mountain Rd in North Apple Valley; APN: 0469-102-12. Zoned Resource Conservation (RC) and under the jurisdiction of San Bernardino, this lot sits adjacent to the future site of Brightline West’s Victor Valley Station. Currently under preliminary construction, Brightline West will connect Las Vegas and Southern California with the nation’s first true high-speed passenger rail system. This $21 billion project will enhance connectivity between the High Desert, the Los Angeles Basin, and Las Vegas spanning 218 miles in approximately 2 hours at top speeds of up to 200 miles per hour. This fully electric train service will take approximately 4 years to complete construction and is anticipated to be serving riders by 2029. Buyer to verify all information contained herein. Agent and their representatives are not responsible for the accuracy of these claims.
Property Facts
| Sale Type | Investment | Property Subtype | Commercial |
| No. Lots | 1 | Total Lot Size | 9.69 AC |
| Property Type | Land | ||
| Zoning | RC - Residential Commercial | ||
| Sale Type | Investment |
| No. Lots | 1 |
| Property Type | Land |
| Property Subtype | Commercial |
| Total Lot Size | 9.69 AC |
| Zoning | RC - Residential Commercial |
1 Lot Available
Lot
| Price | $478,130 CAD | Lot Size | 9.69 AC |
| Price Per AC | $49,342.62 CAD |
| Price | $478,130 CAD |
| Price Per AC | $49,342.62 CAD |
| Lot Size | 9.69 AC |
Property Taxes
| Parcel Number | 0469-102-12 | Improvements Assessment | $0 CAD |
| Land Assessment | $135,356 CAD | Total Assessment | $135,356 CAD |
Property Taxes
Parcel Number
0469-102-12
Land Assessment
$135,356 CAD
Improvements Assessment
$0 CAD
Total Assessment
$135,356 CAD
1 of 3
Videos
Matterport 3D Exterior
Matterport 3D Tour
Photos
Street View
Street
Map
