Your email has been sent.
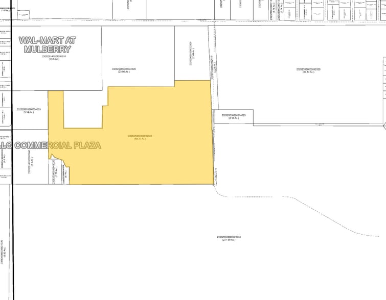
0 Carter Rd 55.27 Acres of Commercial Land Offered at $11,408,578 CAD in Lakeland, FL 33813


Investment Highlights
- Opportunity to acquire a large commercial tract exceeding 55 acres under single ownership
- Fully undeveloped land providing efficient planning conditions
- Competitive pricing at approximately $3.41 per square foot
- Commercial zoning already in place allowing for versatile development paths
- Suitable for retail, hospitality, mixed-use, and service commercial uses
Executive Summary
The site’s size, zoning, and vacant status make it well-positioned for future retail, mixed-use, hospitality, service commercial, or destination-oriented development, subject to applicable approvals. The parcel is currently undeveloped, providing a blank canvas for developers and investors seeking scale, flexibility, and long-term growth potential.
Property Facts
1 Lot Available
Lot
| Price | $11,408,578 CAD | Lot Size | 55.27 AC |
| Price Per AC | $206,411.64 CAD |
| Price | $11,408,578 CAD |
| Price Per AC | $206,411.64 CAD |
| Lot Size | 55.27 AC |
Village at Osprey Lake, LLC is offering for sale approximately 55.27 acres of vacant commercial land, zoned Vacant Commercial (Code 1000).
Description
The property’s substantial size and contiguous configuration provide the scale necessary for master-planned development, while its Vacant Commercial zoning (Code 1000) establishes a strong foundation for near-term or long-term investment strategies. With the site currently in raw, undeveloped condition, buyers benefit from a blank canvas free of legacy structures, environmental encumbrances, or demolition costs, enabling efficient planning, design, and construction.
Property Taxes
| Parcel Number | 23-29-25-000000-032040 | Improvements Assessment | $0 CAD |
| Land Assessment | $1,681,025 CAD | Total Assessment | $1,681,025 CAD |
Property Taxes
Presented by
0 Carter Rd
Hmm, there seems to have been an error sending your message. Please try again.
Thanks! Your message was sent.
