Your email has been sent.
0 Commercial Dr
Athens, AL 35611
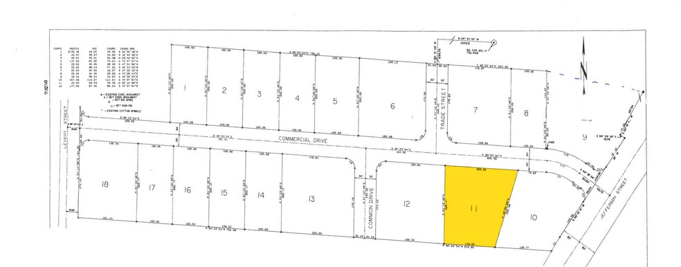
Lot 11 · Land For Sale
·
0.78 AC


Investment Highlights
- Corner frontage near South Jefferson Street
- Short drive to Madison and Huntsville growth corridors
- Zoned B-2 General Business (flexible commercial uses)
- Quick connectivity to HWY 72, I-65, and Downtown Athens
- Surrounded by established retail, service businesses, and residential rooftops
- Ideal for retail, office, service, or redevelopment
Executive Summary
Property Facts
1 Lot Available
Lot 11
| Price | $156,170 CAD | Lot Size | 0.78 AC |
| Price Per AC | $200,217.95 CAD |
| Price | $156,170 CAD |
| Price Per AC | $200,217.95 CAD |
| Lot Size | 0.78 AC |
Highly visible lot zoned B-2 General Business in the heart of Athens’ growing commercial corridor.
Description
This property is positioned in a highly accessible and strategically connected area of Athens, offering strong advantages for retailers, service operators, and businesses seeking visibility and convenience. Located near the intersection of South Jefferson Street, the site benefits from corner frontage that enhances drive-by exposure and improves customer accessibility. Its proximity to major transportation routes, including HWY 72 and I-65, allows seamless regional connectivity and places the property within minutes of Downtown Athens. The location also sits within a short drive of the rapidly expanding Madison and Huntsville corridors, two of North Alabama’s most significant growth markets known for accelerating residential, commercial, and employment development. This broader regional momentum contributes to increased daily traffic and expanding consumer demand in the immediate trade area. Surrounding the site is a well-established mix of retail, professional services, dining, and residential neighborhoods, creating a stable customer base and strong co-tenancy environment. The combination of high visibility, strong traffic patterns, accessible utilities, and flexible B-2 zoning positions this location as an exceptional opportunity for businesses looking to establish or grow their presence in a thriving and strategically connected market.
Property Taxes
| Parcel Number | 10-04-17-1-000-014.006 | Improvements Assessment | $0 CAD |
| Land Assessment | $0 CAD | Total Assessment | $81 CAD |
