Log In/Sign Up
Your email has been sent.
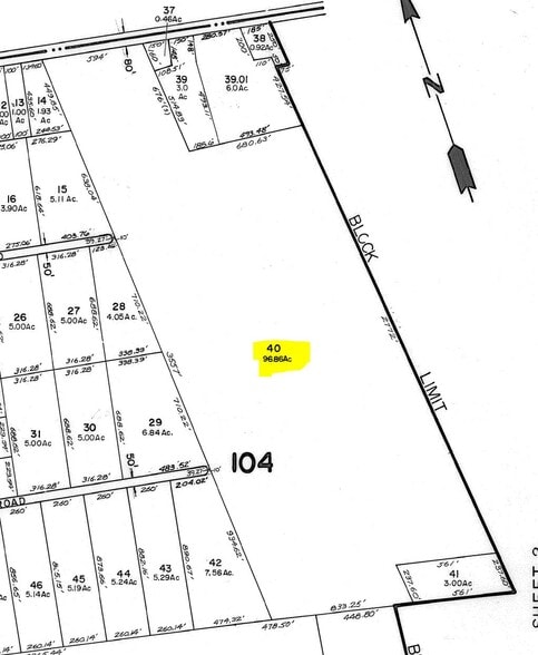
0 Harding Hwy - 96.00 Acres 96 Acres of Commercial Land Offered at $2,076,615 CAD in Pittsgrove Township Salem, NJ 08318



INVESTMENT HIGHLIGHTS
- Major highway
- 96 acres
- Mixed use potential
PROPERTY FACTS
1 LOT AVAILABLE
Lot 40
| Price | $2,076,615 CAD | Lot Size | 96.00 AC |
| Price Per AC | $21,631.41 CAD |
| Price | $2,076,615 CAD |
| Price Per AC | $21,631.41 CAD |
| Lot Size | 96.00 AC |
96 +/- ACRES with frontage on Rt 40 aka Harding Highway. This parcel had preliminary approval for 2 commercial Lots and 22 Residential single family home building lots. Planned Highway Business zoning on the 594 ft. frontage . Close to Rt 55.
DESCRIPTION
96 +/- ACRES with frontage on Rt 40 aka Harding Highway. This parcel was previously had preliminary approval for 2 commercial Lots and 22 Residential single family home building lots. Planned Highway Business zoning on the 594 ft. frontage . Property is minutes away from Rt 55
1 1
1 of 7
VIDEOS
MATTERPORT 3D EXTERIOR
MATTERPORT 3D TOUR
PHOTOS
STREET VIEW
STREET
MAP
1 of 1
Presented by
0 Harding Hwy - 96.00 Acres
Already a member? Log In
Hmm, there seems to have been an error sending your message. Please try again.
Thanks! Your message was sent.
