Your email has been sent.
0 Just Imagine Drive - Avon Development Sites +/- 1.0 - 2.0 Acres 1.74 - 2 Acre Commercial Land Lots in Avon, OH 44011



Investment Highlights
- Rapidly developing Chester Rd corridor off of I-90; Nagel Road exit
- 66,000 employees and 4,500 businesses within 5 miles
- Steps from new Nagel Crossing planned development
- 77,000 VPD (I-90) and 16,000 VPD (Nagel Road)
- Median HH income $106,346 (3 mi.) and $95,126 (5 mi.)
- Within 3 miles from multiple other shopping retail/business centers including Crocker Park, Avon Commons, and Avon Crossing
Executive Summary
Near new Nagel Crossing with Starbucks, Chipotle, Drip, and more and next to the New Peter's Jewelers.
Surrounded by many of the area's largest employers (Ford Ohio Assembly Plant, Cleveland Clinic, Jenne Distributors, Shurtape Technologies & Duck Brand World Headquarters, and more).
Avon is one of the fastest-growing cities in Northeast Ohio, with continuous growth and positive economic and business development trends.
Property Facts
| Sale Type | Investment | Property Subtype | Commercial |
| No. Lots | 2 | Proposed Use | |
| Property Type | Land | Total Lot Size | 3.74 AC |
| Zoning | C-4 & M-1 - General Business & Industrial Overlay | ||
| Sale Type | Investment |
| No. Lots | 2 |
| Property Type | Land |
| Property Subtype | Commercial |
| Proposed Use | |
| Total Lot Size | 3.74 AC |
| Zoning | C-4 & M-1 - General Business & Industrial Overlay |
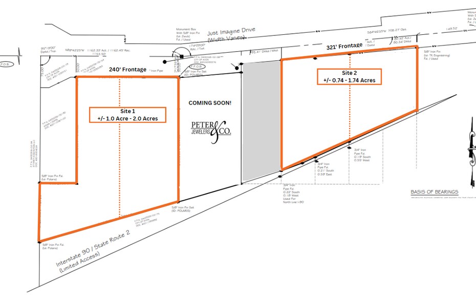
2 Lots Available
Lot 1
| Lot Size | 2.00 AC |
| Lot Size | 2.00 AC |
Lot 2
| Lot Size | 1.74 AC |
| Lot Size | 1.74 AC |
Description
Highway development sites off I-90 at Nagel Rd, in an expanding corridor, across from Cleveland Clinic Avon Hospital with a recently announced $340M hospital expansion. Near the new Nagel Crossing with Starbucks, Chipotle, Drip, and more, and next to the New Peter's Jewelers. Surrounded by many of the area's largest employers (Ford Ohio Assembly Plant, Cleveland Clinic, Jenne Distributors, Shurtape Technologies & Duck Brand World Headquarters, and more). Avon is one of the fastest-growing cities in Northeast Ohio, with continuous growth and positive economic and business development trends
Property Taxes
| Parcel Numbers | Improvements Assessment | $0 CAD | |
| Land Assessment | $518,011 CAD | Total Assessment | $518,011 CAD |
Property Taxes
Presented by
0 Just Imagine Drive - Avon Development Sites +/- 1.0 - 2.0 Acres
Hmm, there seems to have been an error sending your message. Please try again.
Thanks! Your message was sent.
