Log In/Sign Up
Your email has been sent.
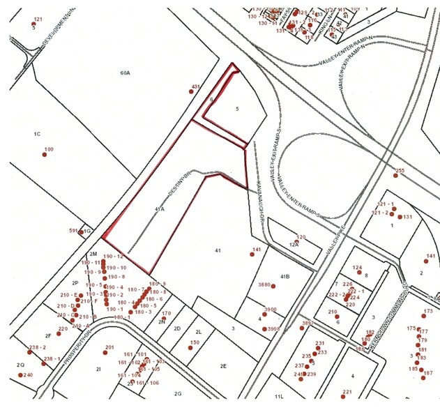
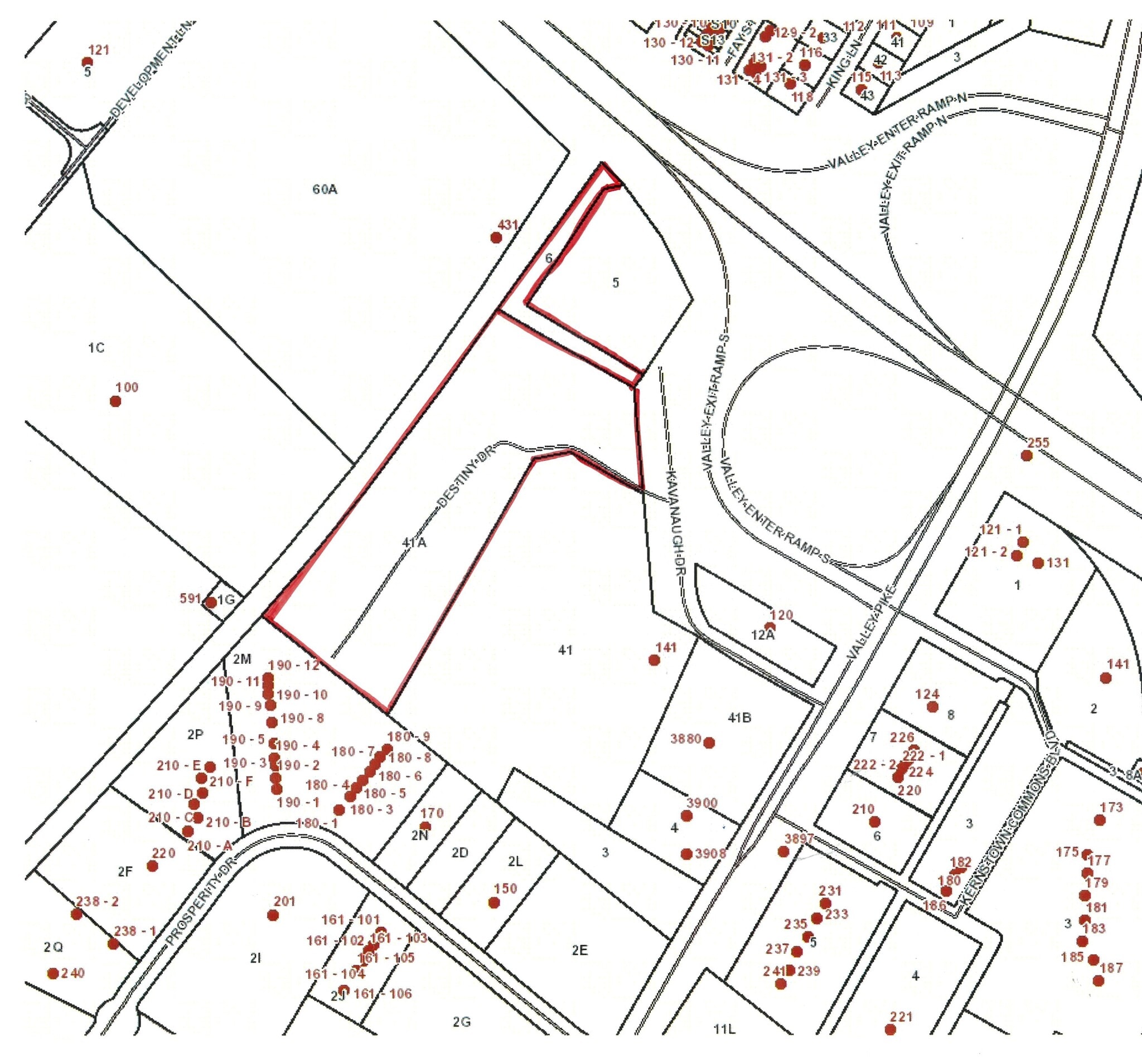
0 Kavanaugh Drive - 0 Kavanaugh Drive 8.86 Acres of Commercial Land Offered at $3,524,838 CAD in Winchester, VA 22602

INVESTMENT HIGHLIGHTS
- Great Location in Industrial Park
- Lots of Potential
- Visible from VA Bypass 37
EXECUTIVE SUMMARY
8.86 Acres of undeveloped commercial land zoned B-2 with excellent US 37 future signage visibility, exposure, and location. All utilities available for connection. Approved uses include self-storage warehouses, distribution warehouses, car washes, new car dealerships, hotels and restaurants.
PROPERTY FACTS
| Price | $3,524,838 CAD | Property Subtype | Commercial |
| Sale Type | Investment or Owner User | Proposed Use | |
| No. Lots | 1 | Total Lot Size | 8.86 AC |
| Property Type | Land | ||
| Zoning | B-2 - Highway Commercial | ||
| Price | $3,524,838 CAD |
| Sale Type | Investment or Owner User |
| No. Lots | 1 |
| Property Type | Land |
| Property Subtype | Commercial |
| Proposed Use | |
| Total Lot Size | 8.86 AC |
| Zoning | B-2 - Highway Commercial |
1 LOT AVAILABLE
Lot
| Price | $3,524,838 CAD | Lot Size | 8.86 AC |
| Price Per AC | $397,837.21 CAD |
| Price | $3,524,838 CAD |
| Price Per AC | $397,837.21 CAD |
| Lot Size | 8.86 AC |
8.86 Acres of undeveloped commercial land zoned B-2 with excellent US 37 future signage visibility, exposure, and location. All utilities available for connection. Approved uses include self-storage warehouses, distribution warehouses, car washes, ne
1 1
PROPERTY TAXES
| Parcel Numbers | Improvements Assessment | $0 CAD | |
| Land Assessment | $1,562,035 CAD | Total Assessment | $1,562,035 CAD |
PROPERTY TAXES
Parcel Numbers
Land Assessment
$1,562,035 CAD
Improvements Assessment
$0 CAD
Total Assessment
$1,562,035 CAD
1 of 2
VIDEOS
MATTERPORT 3D EXTERIOR
MATTERPORT 3D TOUR
PHOTOS
STREET VIEW
STREET
MAP
1 of 1
Presented by
0 Kavanaugh Drive - 0 Kavanaugh Drive
Already a member? Log In
Hmm, there seems to have been an error sending your message. Please try again.
Thanks! Your message was sent.
