Log In/Sign Up
Your email has been sent.
0 Kings Hwy
King George, VA 22485
Beaver Creek · Land For Sale
·
47.74 AC


Investment Highlights
- Huge potential
- Priced to sell
Executive Summary
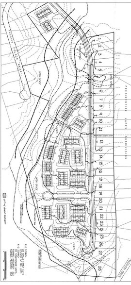
47.74 acres of land ready to develop for houses. Preliminary site plan done for 111 town homes and 28 single family homes. Right next to Route 3. Zoned R3 and R1. Call for details.
Near Francis Folsom Drive by Route 3 in King George County.
Near Francis Folsom Drive by Route 3 in King George County.
Property Facts Under Contract
| Sale Type | Investment | Proposed Use | Single Family Development |
| No. Lots | 1 | Total Lot Size | 47.74 AC |
| Property Type | Land | Cross Streets | Dolley''s Ct. |
| Property Subtype | Residential | ||
| Zoning | R-1 | ||
| Sale Type | Investment |
| No. Lots | 1 |
| Property Type | Land |
| Property Subtype | Residential |
| Proposed Use | Single Family Development |
| Total Lot Size | 47.74 AC |
| Cross Streets | Dolley''s Ct. |
| Zoning | R-1 |
1 Lot Available
Lot
| Price | $1,227,816 CAD | Lot Size | 47.74 AC |
| Price Per AC | $25,718.81 CAD |
| Price | $1,227,816 CAD |
| Price Per AC | $25,718.81 CAD |
| Lot Size | 47.74 AC |
47.74 acres of land ready to develop for houses.
Description
47.74 Acres located just off Route 3
Property Taxes
| Parcel Number | 23-28 | Improvements Assessment | $0 CAD |
| Land Assessment | $325,644 CAD | Total Assessment | $325,644 CAD |
Property Taxes
Parcel Number
23-28
Land Assessment
$325,644 CAD
Improvements Assessment
$0 CAD
Total Assessment
$325,644 CAD
1 of 3
Videos
Matterport 3D Exterior
Matterport 3D Tour
Photos
Street View
Street
Map
