Log In/Sign Up
Your email has been sent.
0 Lee Rd.
Imperial, CA 92251
0 Lee Rd. · Land For Sale
·
1.58 AC


Investment Highlights
- Property is ideal for residential development
- Property is in the path of future development
- There is residential on all four sides of the property
Executive Summary
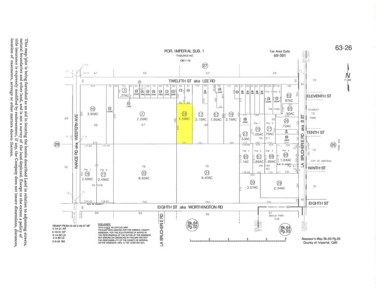
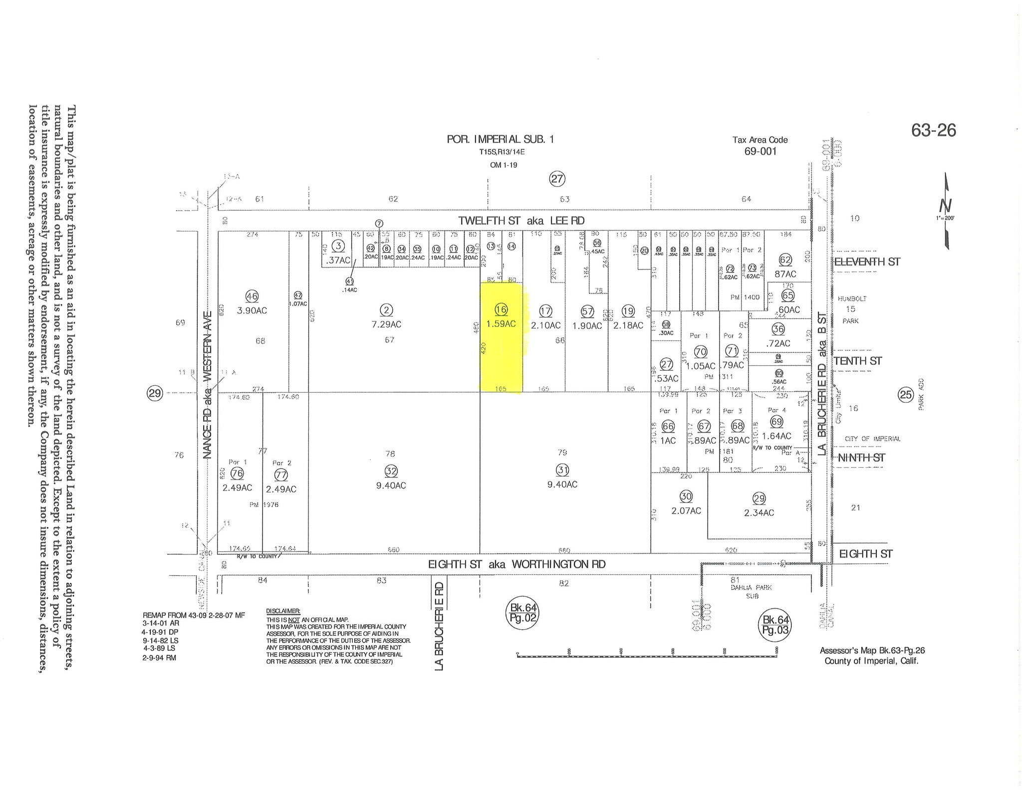
The property is located on the westside of Imperial, west of La Brucherie Rd., and between Worthington Rd on the south, Lee Rd. on the north. The property is ideal for residential development. There is residential on all four sides and is in the path of future development. Utilities are in the area but need to be brought to the property. The property is properly priced for the investor looking for a development opportunity.
Property Facts
| Sale Type | Investment or Owner User | Property Subtype | Residential |
| No. Lots | 1 | Proposed Use | Single Family Development |
| Property Type | Land | Total Lot Size | 1.58 AC |
| Zoning | A1U - Limited Agriculture Urban Areas | ||
| Sale Type | Investment or Owner User |
| No. Lots | 1 |
| Property Type | Land |
| Property Subtype | Residential |
| Proposed Use | Single Family Development |
| Total Lot Size | 1.58 AC |
| Zoning | A1U - Limited Agriculture Urban Areas |
1 Lot Available
Lot
| Price | $129,870 CAD | Lot Size | 1.58 AC |
| Price Per AC | $82,196.05 CAD |
| Price | $129,870 CAD |
| Price Per AC | $82,196.05 CAD |
| Lot Size | 1.58 AC |
Raw Land, Value In Land
Description
PRICE REDUCED ! The property is located on the westside of Imperial, west of La Brucherie Rd., and between Worthington Rd on the south, Lee Rd. on the north. The property is ideal for residential development. There is residential on all four sides and is in the path of future development. Utilities are in the area but need to be brought to the property. The property is properly priced for the investor looking for a development opportunity. Directions: In Imperial, go west on Worthington Rd., turn right (north) on La Brucherie Rd., and then left (west) on Lee Rd. There is no street address, so you need to refer to the plat map for specific location of the property.
Property Taxes
| Parcel Number | 063-260-016-000 | Improvements Assessment | $0 CAD |
| Land Assessment | $4,999 CAD | Total Assessment | $4,999 CAD |
Property Taxes
Parcel Number
063-260-016-000
Land Assessment
$4,999 CAD
Improvements Assessment
$0 CAD
Total Assessment
$4,999 CAD
1 of 3
Videos
Matterport 3D Exterior
Matterport 3D Tour
Photos
Street View
Street
Map
