Log In/Sign Up
Your email has been sent.
0 Merle Ave 5 Acres of Commercial Land Offered at $888,700 CAD in Hudson, NY 12534



Investment Highlights
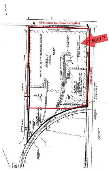
- NYS Route 66 @ Merle Avenue
- 400.00’ of frontage on NYS RT 66, Union Turnpike
- Gas & Electric
- 531.73’ of frontage on Merle Avenue
- Town Water & Sewer
- Possible uses: Artist Housing, Hotel, Industrial R&D, etc.
Executive Summary
5 Acre Development Site
NYS Route 66 / Union Turnpike
Town of Greenport, Columbia County, NY
NYS Route 66 / Union Turnpike
Town of Greenport, Columbia County, NY
Property Facts
| Price | $888,700 CAD | Property Type | Land |
| Sale Type | Investment | Property Subtype | Commercial |
| No. Lots | 1 | Total Lot Size | 5.00 AC |
| Price | $888,700 CAD |
| Sale Type | Investment |
| No. Lots | 1 |
| Property Type | Land |
| Property Subtype | Commercial |
| Total Lot Size | 5.00 AC |
1 Lot Available
Lot
| Price | $888,700 CAD | Lot Size | 5.00 AC |
| Price Per AC | $177,739.91 CAD |
| Price | $888,700 CAD |
| Price Per AC | $177,739.91 CAD |
| Lot Size | 5.00 AC |
531.73’ of frontage on Merle Avenue 400.00’ of frontage on NYS RT 66, Union Turnpike
1 1
1 of 4
Videos
Matterport 3D Exterior
Matterport 3D Tour
Photos
Street View
Street
Map
1 of 1
Presented by
0 Merle Ave
Already a member? Log In
Hmm, there seems to have been an error sending your message. Please try again.
Thanks! Your message was sent.
