Your email has been sent.
0 Patrick Dr - Block A 0.42 Acres of Residential Land Offered at $600,000 CAD in Frankford, ON K0K 2C0



Investment Highlights
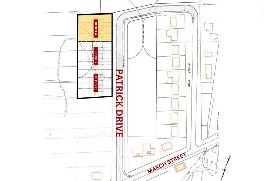
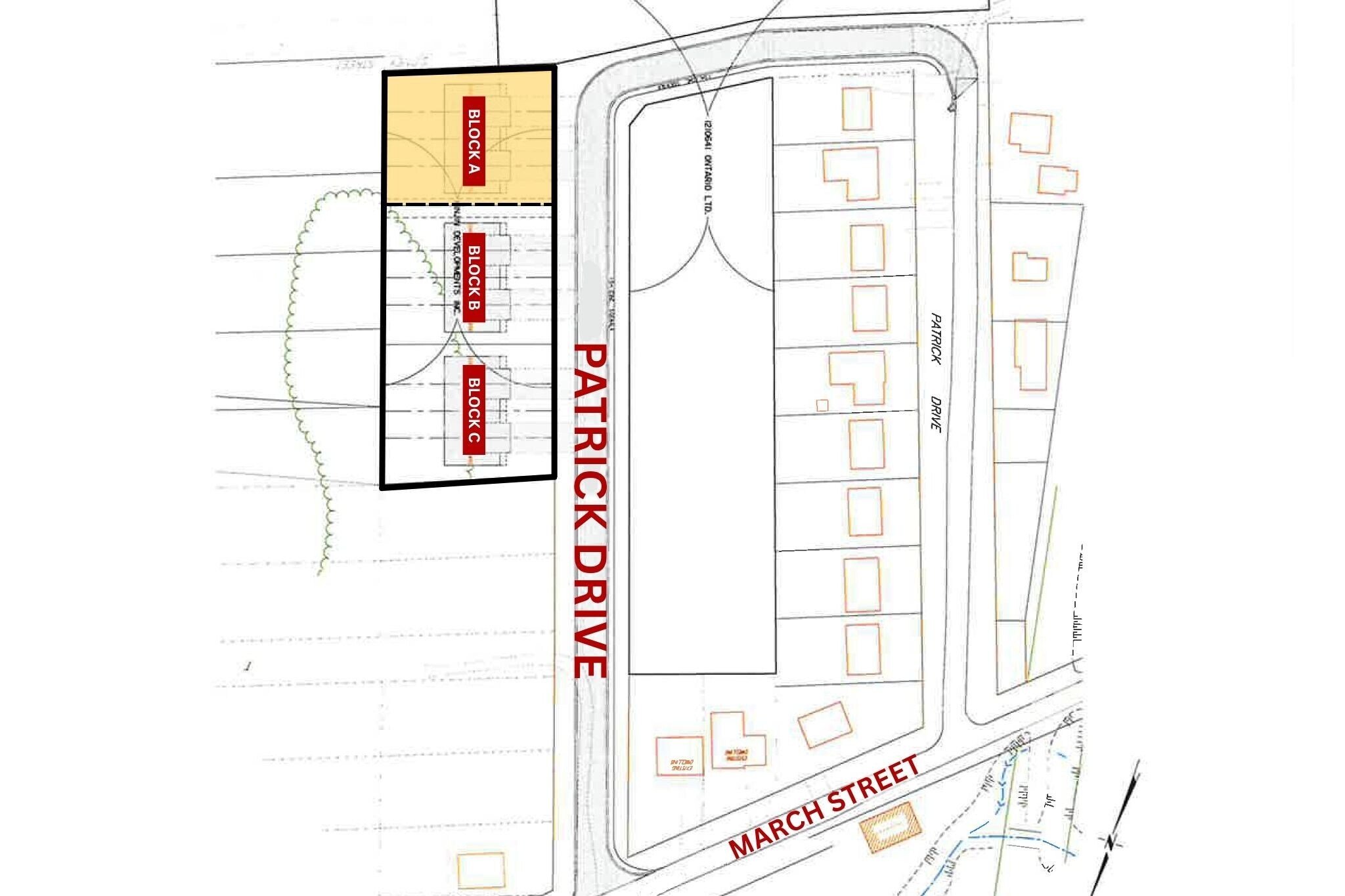
- Featuring 119 feet of frontage and 153 feet of depth, Block A offers generous space for a well-optimized layout.
- Combine with two additional available blocks for a total of 1.3 acres, offering flexibility for larger-scale residential projects.
- Recently rezoned to R3-23, enabling townhouse development and expanding permitted uses—no waiting on approvals.
Executive Summary
Property Facts
| Price | $600,000 CAD | Property Subtype | Residential |
| Sale Type | Investment | Proposed Use | |
| No. Lots | 1 | Total Lot Size | 0.42 AC |
| Property Type | Land | ||
| Zoning | R3-23 - Residential, Townhouse | ||
| Price | $600,000 CAD |
| Sale Type | Investment |
| No. Lots | 1 |
| Property Type | Land |
| Property Subtype | Residential |
| Proposed Use | |
| Total Lot Size | 0.42 AC |
| Zoning | R3-23 - Residential, Townhouse |
1 Lot Available
Lot
| Price | $600,000 CAD | Lot Size | 0.42 AC |
| Price Per AC | $1,428,571.43 CAD |
| Price | $600,000 CAD |
| Price Per AC | $1,428,571.43 CAD |
| Lot Size | 0.42 AC |
0.42-acre townhouse development block
Description
An exceptional development opportunity in a growing community! This 0.42-acre townhouse development block offers a proposed plan for a 4-plex townhouse, making it an ideal investment for builders or developers. Known as Block A, the site features 119 feet of frontage and 153 feet of depth, providing ample space for an efficient layout. The property has been recently rezoned to R3-23, allowing for townhouse development and expanding the range of permitted uses. In addition to Block A, there are two other available blocks, bringing the total potential acreage to 1.3 acres across all three parcels. With zoning approvals already in place, this property is ready for the next stage of planning and design.
Presented by
Company Not Provided
0 Patrick Dr - Block A
Hmm, there seems to have been an error sending your message. Please try again.
Thanks! Your message was sent.
