Log In/Sign Up
Your email has been sent.
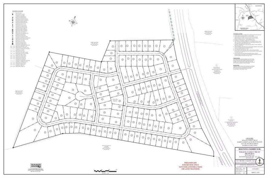
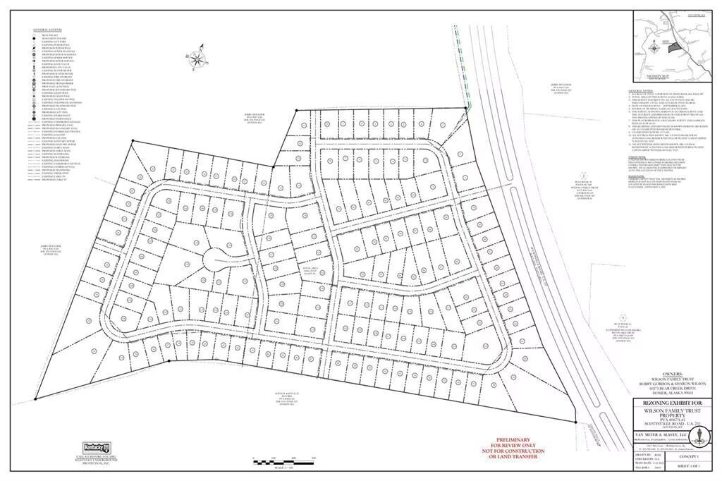
0 Scottsville rd - 61 Acres Approved for 157 Single Family Lots 61.66 Acres of Commercial Land Offered at $3,409,150 CAD in Alvaton, KY 42122



Investment Highlights
- 157 Planned Single-Family Lots with subdivision layout in place
- Positioned within a Predominantly Owner-Occupied Trade Area supporting long-term residential stability
- Located on Scottsville Road within the expanding South Warren corridor
- Rezoned RS-1B, allowing for single-family residential development
- Surrounded by Established Residential Growth in one of Bowling Green’s most active housing submarkets
Executive Summary
This offering presents a well-positioned residential development opportunity at 0 Scottsville Rd, located on the west side of the road in one of South Warren County’s
most desirable and expanding areas. The property consists of vacant land that has been rezoned to RS-1B, Single-Family Residential, and is planned for 157 single-family lots. Located within an area experiencing continued residential development and consistent household growth, the site benefits from its position along the Alvaton corridor, one of South Warren County’s most active and steadily growing residential areas. With zoning secured and subdivision planning underway, the property represents a scalable single-family development opportunity in a proven growth pocket of the greater Bowling Green market.
most desirable and expanding areas. The property consists of vacant land that has been rezoned to RS-1B, Single-Family Residential, and is planned for 157 single-family lots. Located within an area experiencing continued residential development and consistent household growth, the site benefits from its position along the Alvaton corridor, one of South Warren County’s most active and steadily growing residential areas. With zoning secured and subdivision planning underway, the property represents a scalable single-family development opportunity in a proven growth pocket of the greater Bowling Green market.
Property Facts
| Price | $3,409,150 CAD | Property Subtype | Commercial |
| Sale Type | Investment | Proposed Use | |
| No. Lots | 1 | Total Lot Size | 61.66 AC |
| Property Type | Land | Year Built | 2009 |
| Zoning | RS-1B - RS-1B | ||
| Price | $3,409,150 CAD |
| Sale Type | Investment |
| No. Lots | 1 |
| Property Type | Land |
| Property Subtype | Commercial |
| Proposed Use | |
| Total Lot Size | 61.66 AC |
| Year Built | 2009 |
| Zoning | RS-1B - RS-1B |
1 Lot Available
Lot
| Price | $3,409,150 CAD | Lot Size | 61.66 AC |
| Price Per AC | $55,289.49 CAD |
| Price | $3,409,150 CAD |
| Price Per AC | $55,289.49 CAD |
| Lot Size | 61.66 AC |
61 acres zoned for 157 single-family lots on Scottsville Rd.
Not walkable
10/100
Exceptionally drivable
100/100
Property Taxes
| Parcel Number | 067A-61 | Improvements Assessment | $0 CAD |
| Land Assessment | $0 CAD | Total Assessment | $2,714,686 CAD |
Property Taxes
Parcel Number
067A-61
Land Assessment
$0 CAD
Improvements Assessment
$0 CAD
Total Assessment
$2,714,686 CAD
1 of 7
Videos
Matterport 3D Exterior
Matterport 3D Tour
Photos
Street View
Street
Map
Presented by
0 Scottsville rd - 61 Acres Approved for 157 Single Family Lots
Already a member? Log In
Hmm, there seems to have been an error sending your message. Please try again.
Thanks! Your message was sent.

