Log In/Sign Up
Your email has been sent.
0 VAC/VIV 10 STE/AVE E12
Lancaster, CA 93535
0 VAC/VIV 10 STE/AVE E12 · Land For Sale
·
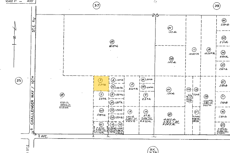
2.56 AC

Executive Summary
Land locked.
Property Facts
| Sale Type | Investment | Property Subtype | Residential |
| No. Lots | 1 | Proposed Use | Multifamily |
| Property Type | Land | Total Lot Size | 2.56 AC |
| Zoning | LCD21* | ||
| Sale Type | Investment |
| No. Lots | 1 |
| Property Type | Land |
| Property Subtype | Residential |
| Proposed Use | Multifamily |
| Total Lot Size | 2.56 AC |
| Zoning | LCD21* |
1 Lot Available
Lot
| Price | $20,455 CAD | Lot Size | 2.56 AC |
| Price Per AC | $7,990.20 CAD |
| Price | $20,455 CAD |
| Price Per AC | $7,990.20 CAD |
| Lot Size | 2.56 AC |
Property Taxes
| Parcel Number | 3145-031-003 | Improvements Assessment | $0 CAD |
| Land Assessment | $35,797 CAD | Total Assessment | $35,797 CAD |
Property Taxes
Parcel Number
3145-031-003
Land Assessment
$35,797 CAD
Improvements Assessment
$0 CAD
Total Assessment
$35,797 CAD
1 of 2
Videos
Matterport 3D Exterior
Matterport 3D Tour
Photos
Street View
Street
Map
