Log In/Sign Up
Your email has been sent.
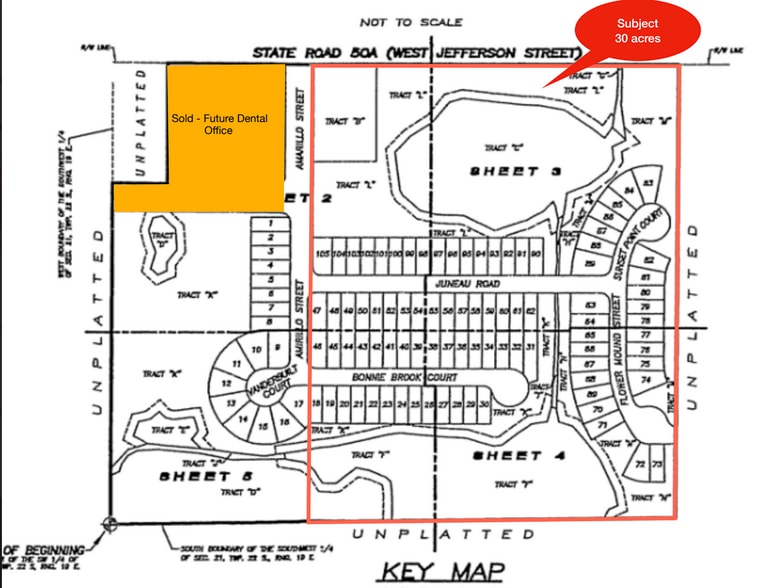
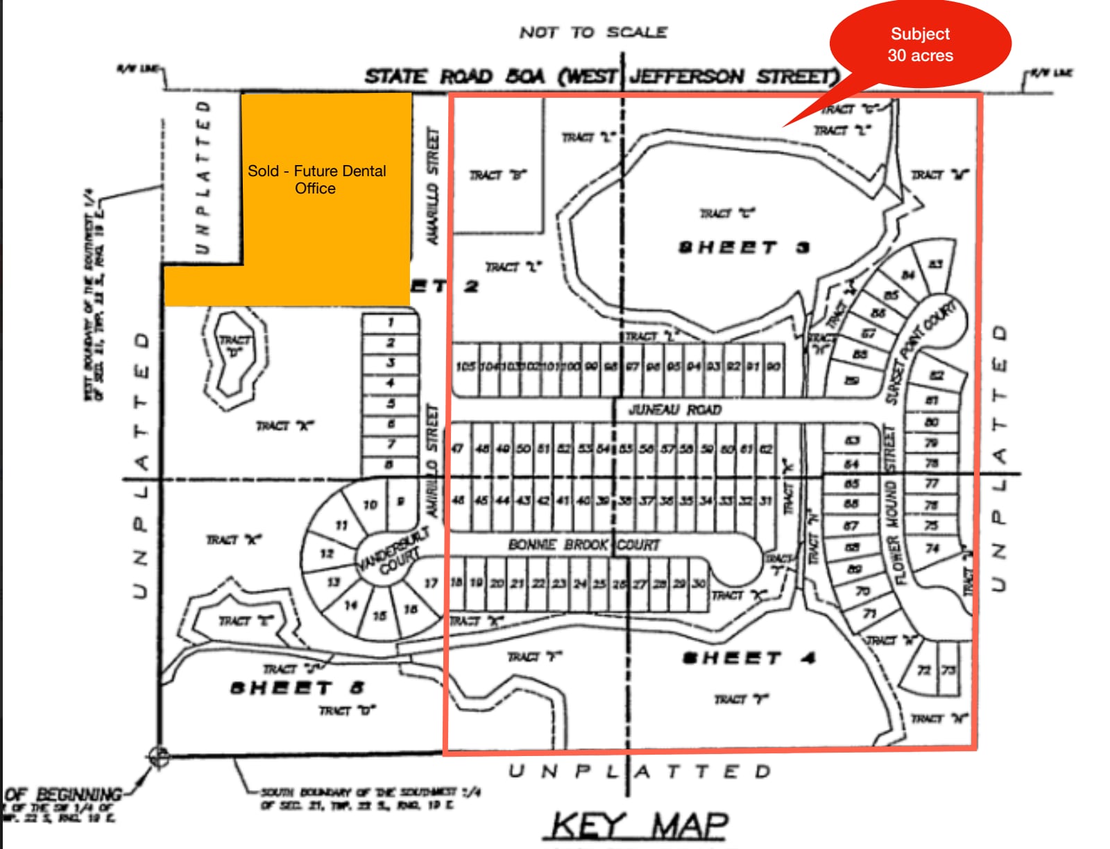
00 Jefferson St - Oakbrook Subdivision Parcel B 30 Acres of Residential Land Offered at $2,050,845 CAD in Brooksville, FL 34601



Investment Highlights
- heavy traffic
- investment opportunity
- prime RV camp ground location
Property Facts
| Price | $2,050,845 CAD | Property Subtype | Residential |
| Sale Type | Investment or Owner User | Proposed Use | |
| No. Lots | 1 | Total Lot Size | 30.00 AC |
| Property Type | Land | ||
| Zoning | city | ||
| Price | $2,050,845 CAD |
| Sale Type | Investment or Owner User |
| No. Lots | 1 |
| Property Type | Land |
| Property Subtype | Residential |
| Proposed Use | |
| Total Lot Size | 30.00 AC |
| Zoning | city |
1 Lot Available
Lot
| Price | $2,050,845 CAD | Lot Size | 30.00 AC |
| Price Per AC | $68,361.50 CAD |
| Price | $2,050,845 CAD |
| Price Per AC | $68,361.50 CAD |
| Lot Size | 30.00 AC |
Previously Zoned for a Single Family Subdivision (Oakbrooke). Ideal location for an R.V. Park, Apartments, Charter School. Road Frontage:1,000 LF. Utilities: City Water & Sewer
Description
Previously Zoned for a Single Family Subdivision (Oakbrooke). Ideal location for an R.V. Park, Apartments, Charter School. Road Frontage:1,000 LF. Utilities: City Water & Sewer
1 1
1 of 10
Videos
Matterport 3D Exterior
Matterport 3D Tour
Photos
Street View
Street
Map
1 of 1
Presented by
00 Jefferson St - Oakbrook Subdivision Parcel B
Already a member? Log In
Hmm, there seems to have been an error sending your message. Please try again.
Thanks! Your message was sent.
Your message has been sent!
Activate your LoopNet account now to track properties, get real-time alerts, save time on future inquiries, and more.
