Log In/Sign Up
Your email has been sent.
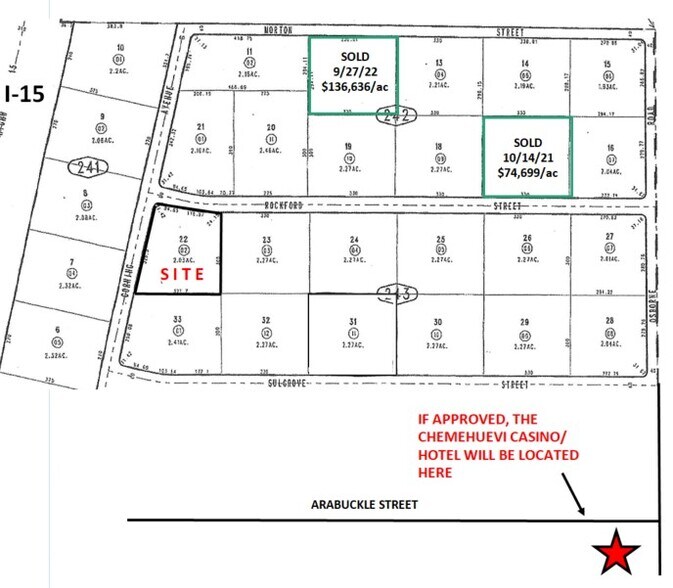
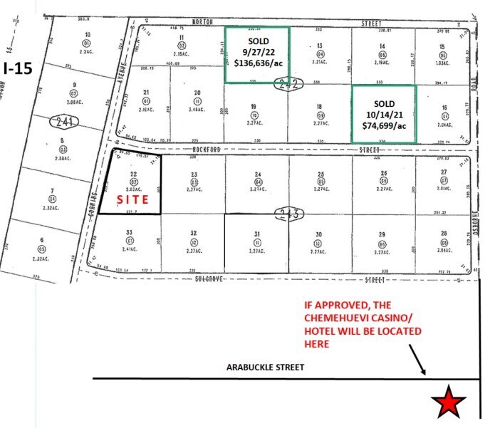
00 Rockford
Barstow, CA 92311
2.03 Acres SEC Rockford & Corning · Land For Sale
·
2.03 AC

Property Facts
| Sale Type | Investment | Proposed Use | Commercial |
| No. Lots | 1 | Total Lot Size | 2.03 AC |
| Property Type | Land | Cross Streets | Corning |
| Property Subtype | Commercial | ||
| Zoning | Commercial - Commercial | ||
| Sale Type | Investment |
| No. Lots | 1 |
| Property Type | Land |
| Property Subtype | Commercial |
| Proposed Use | Commercial |
| Total Lot Size | 2.03 AC |
| Cross Streets | Corning |
| Zoning | Commercial - Commercial |
1 Lot Available
Lot
| Price | $273,971 CAD | Lot Size | 2.03 AC |
| Price Per AC | $134,961.06 CAD |
| Price | $273,971 CAD |
| Price Per AC | $134,961.06 CAD |
| Lot Size | 2.03 AC |
Description
Located within two blocks of a hotel/casino. The city will be providing sewer and utilities to this area within two years, which will greatly increase property values.
Property Taxes
| Parcel Number | 0421-243-02 | Improvements Assessment | $0 CAD |
| Land Assessment | $128,008 CAD | Total Assessment | $128,008 CAD |
Property Taxes
Parcel Number
0421-243-02
Land Assessment
$128,008 CAD
Improvements Assessment
$0 CAD
Total Assessment
$128,008 CAD
1 of 2
Videos
Matterport 3D Exterior
Matterport 3D Tour
Photos
Street View
Street
Map
