Log In/Sign Up
Your email has been sent.
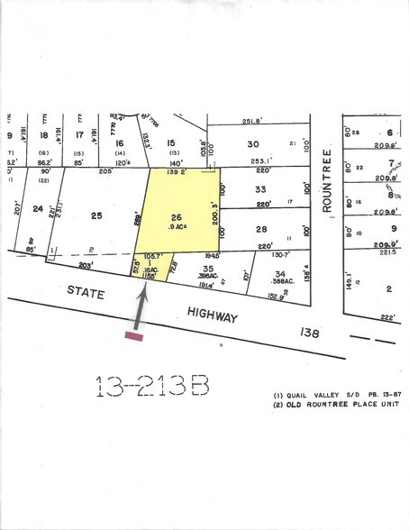
000 138 Hwy
Riverdale, GA 30274
57 Highway 138 - Pad Ready Lot 1.02Ac's +/- · Land For Sale
·
1.06 AC


Executive Summary
Commercial Lot,0.16+/- Acres With Hwy. 138 Frontage Located Next To Busy Shops And Conv. Gas/Food Market At HWY 138 And Roundtree Rd. Lot Must Be Sold With Adjacent 0.9+/- Commercial Lot. Adjacent 1.02 +/- Acre Lot With House Available new NMX Zoning Retail With Sewer Connection real close. Traffic Count Above 31,000(2006)GDOT
From Hwy 19/41 Tara Blvd Turn Right Onto Spur 138 Turn Right AT GA-138 North Avenue Continue To Follow GA-138- To Rountree Rd. Property Located West Of Rountree Rd On Right.
From Hwy 19/41 Tara Blvd Turn Right Onto Spur 138 Turn Right AT GA-138 North Avenue Continue To Follow GA-138- To Rountree Rd. Property Located West Of Rountree Rd On Right.
Property Facts
1 Lot Available
Lot Partial 01
| Price | $171,250 CAD | Lot Size | 1.06 AC |
| Price Per AC | $161,556.60 CAD |
| Price | $171,250 CAD |
| Price Per AC | $161,556.60 CAD |
| Lot Size | 1.06 AC |
1 of 7
Videos
Matterport 3D Exterior
Matterport 3D Tour
Photos
Street View
Street
Map
