Log In/Sign Up
Your email has been sent.
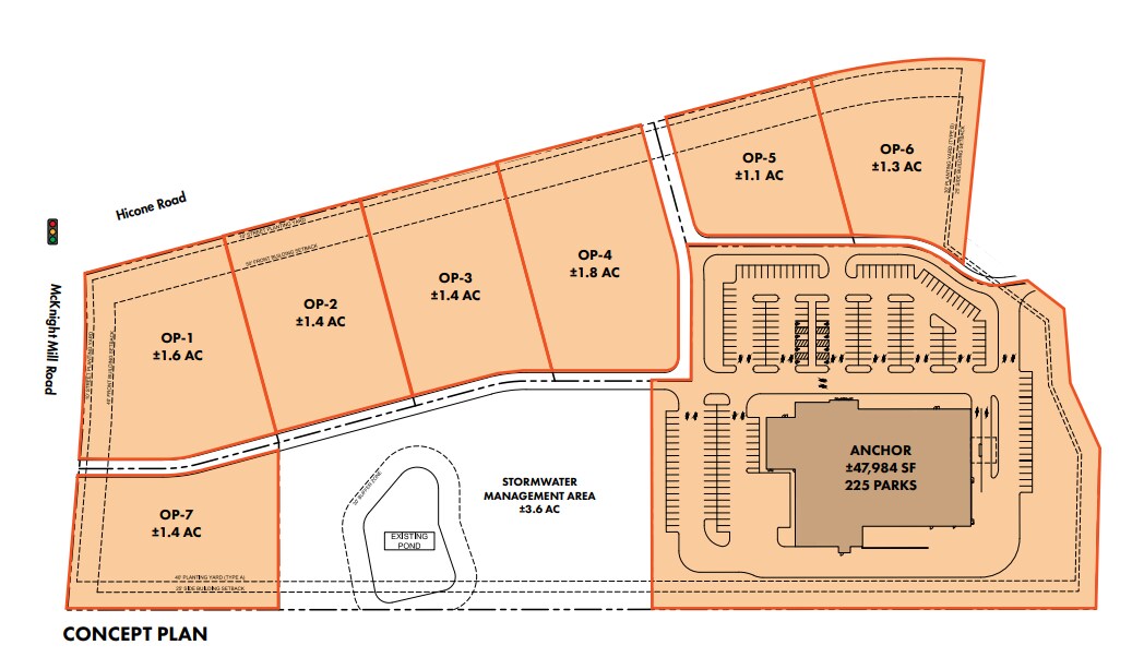
000 Hicone Rd
Greensboro, NC 27405
OP 4 · Land For Lease
·
1.80 AC
Highlights
- Rapidly growing residential and commercial trade area and is part of Guilford County’s Tier 1 Growth Plan
- Close proximity to the 2,000 acre Reedy Fork mixed-use development with 4,500 homes planned, under construction, and recently delivered
- Directly off of US-29 exit and 1 mile from newly constructed I-840 loop
- Minutes from the Browns Summit Industrial park, Bryan Park Soccer Complex and Proctor & Gamble manufacturing facility with nearly 600 employees
Property Facts
| Total Space Available | 1.80 AC | Property Subtype | Commercial |
| Property Type | Land | Total Lot Size | 1.80 AC |
| Total Space Available | 1.80 AC |
| Property Type | Land |
| Property Subtype | Commercial |
| Total Lot Size | 1.80 AC |
1 of 2
Videos
Matterport 3D Exterior
Matterport 3D Tour
Photos
Street View
Street
Map
