Log In/Sign Up
Your email has been sent.
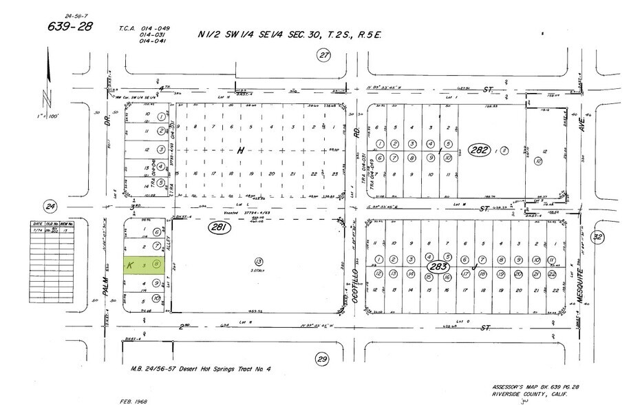
000 Palm Dr - 0.14 Palm Commercial 0.14 Acres of Commercial Land Offered at $66,098 CAD in Desert Hot Springs, CA 92240



Investment Highlights
- Heavy Traffic Counts
- In the path of newer development
Executive Summary
Prime Commercial Lot in Desert Hot Springs - .14 Acres on Palm Drive
Unlock the potential of this strategically located .14-acre parcel in Desert Hot Springs, CA, zoned C-G (General Commercial)—ideal for a wide range of business uses. With 50 feet of frontage on high-traffic Palm Drive, this site offers excellent visibility and accessibility just two blocks from downtown DHS.
Surrounded by established retailers like Dollar General and AutoZone, and nestled among rapidly growing residential developments, this property is perfectly positioned to serve both local and tourist markets. You're just minutes from Downtown Palm Springs, Palm Springs International Airport, and the iconic Joshua Tree National Park, making it a prime spot for retail, service, or hospitality ventures.
Whether you're envisioning a boutique storefront, café, office space, or mixed-use development, this lot offers the flexibility and location to bring your vision to life.
Unlock the potential of this strategically located .14-acre parcel in Desert Hot Springs, CA, zoned C-G (General Commercial)—ideal for a wide range of business uses. With 50 feet of frontage on high-traffic Palm Drive, this site offers excellent visibility and accessibility just two blocks from downtown DHS.
Surrounded by established retailers like Dollar General and AutoZone, and nestled among rapidly growing residential developments, this property is perfectly positioned to serve both local and tourist markets. You're just minutes from Downtown Palm Springs, Palm Springs International Airport, and the iconic Joshua Tree National Park, making it a prime spot for retail, service, or hospitality ventures.
Whether you're envisioning a boutique storefront, café, office space, or mixed-use development, this lot offers the flexibility and location to bring your vision to life.
Property Facts
1 Lot Available
Lot
| Price | $66,098 CAD | Lot Size | 0.14 AC |
| Price Per AC | $472,125.50 CAD |
| Price | $66,098 CAD |
| Price Per AC | $472,125.50 CAD |
| Lot Size | 0.14 AC |
Raw land with 50 feet of frontage on Palm Drive. Flexible zoning
Description
Commercial parcel ready for development. Rough grade with utilities in street and sidewalk in. In close proximity to national retailers.
1 1
Property Taxes
| Parcel Number | 639-281-003 | Improvements Assessment | $0 CAD |
| Land Assessment | $272,096 CAD | Total Assessment | $272,096 CAD |
Property Taxes
Parcel Number
639-281-003
Land Assessment
$272,096 CAD
Improvements Assessment
$0 CAD
Total Assessment
$272,096 CAD
1 of 7
Videos
Matterport 3D Exterior
Matterport 3D Tour
Photos
Street View
Street
Map
1 of 1
Presented by
000 Palm Dr - 0.14 Palm Commercial
Already a member? Log In
Hmm, there seems to have been an error sending your message. Please try again.
Thanks! Your message was sent.
Your message has been sent!
Activate your LoopNet account now to track properties, get real-time alerts, save time on future inquiries, and more.
