Log In/Sign Up
Your email has been sent.
Investment Highlights
- Great access and visibility from Hwy 61
Executive Summary
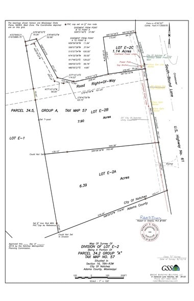
Well located commercial lot which is zoned B-4 for a wide variety of commercial uses. This Lot is in the DESIGNATED OPPORTUNITY ZONE which may qualify the Buyer for TAX CREDITS based on Buyers total investment and number new jobs created.
All City utilities are available. Property is accessed from an MDOT permitted access at a median cut on Hwy 61 South.
All City utilities are available. Property is accessed from an MDOT permitted access at a median cut on Hwy 61 South.
Property Facts
| Price | $167,238 CAD | Property Subtype | Commercial |
| Sale Type | Investment | Proposed Use | |
| No. Lots | 1 | Total Lot Size | 1.14 AC |
| Property Type | Land | Opportunity Zone |
Yes
|
| Zoning | B-4 Highway Business | ||
| Price | $167,238 CAD |
| Sale Type | Investment |
| No. Lots | 1 |
| Property Type | Land |
| Property Subtype | Commercial |
| Proposed Use | |
| Total Lot Size | 1.14 AC |
| Opportunity Zone |
Yes |
| Zoning | B-4 Highway Business |
1 Lot Available
Lot Lot E-2C
| Price | $167,238 CAD | Lot Size | 1.14 AC |
| Price Per AC | $146,700.00 CAD |
| Price | $167,238 CAD |
| Price Per AC | $146,700.00 CAD |
| Lot Size | 1.14 AC |
Recently created commercial lot with great visibility and access from an existing curb cut on Hwy 61 South of Natchez.
Description
Rough graded commercial lot suitable for a wide variety of commercial uses.
1 1
Somewhat walkable
20/100
Exceptionally drivable
100/100
Not bikeable
10/100
1 of 4
Videos
Matterport 3D Exterior
Matterport 3D Tour
Photos
Street View
Street
Map
1 of 1
Presented by
000E-2C Highway 61
Already a member? Log In
Hmm, there seems to have been an error sending your message. Please try again.
Thanks! Your message was sent.



