Log In/Sign Up
Your email has been sent.
Executive Summary
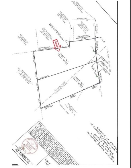
This is the west half of a 31 acre tract. This property is shown as Lot A on the attached plat
Property Facts
| Price | $422,923 CAD | Property Type | Land |
| Sale Type | Investment | Property Subtype | Commercial |
| No. Lots | 1 | Total Lot Size | 15.31 AC |
| Zoning | None | ||
| Price | $422,923 CAD |
| Sale Type | Investment |
| No. Lots | 1 |
| Property Type | Land |
| Property Subtype | Commercial |
| Total Lot Size | 15.31 AC |
| Zoning | None |
1 Lot Available
Lot
| Price | $422,923 CAD | Lot Size | 15.31 AC |
| Price Per AC | $27,624.00 CAD |
| Price | $422,923 CAD |
| Price Per AC | $27,624.00 CAD |
| Lot Size | 15.31 AC |
Cleared and leveled development property suitable for a wide variety of uses. Great visibility from Hwy 84.
Description
Level development property suitable for a wide variety of uses. High visibility on Hwy 84 being the Vidalia Ferriday Highway.
1 1
Somewhat walkable
30/100
Very drivable
80/100
Fairly bikeable
40/100
1 of 3
Videos
Matterport 3D Exterior
Matterport 3D Tour
Photos
Street View
Street
Map
1 of 1
Presented by
001 Hwy 84
Already a member? Log In
Hmm, there seems to have been an error sending your message. Please try again.
Thanks! Your message was sent.


