Log In/Sign Up
Your email has been sent.
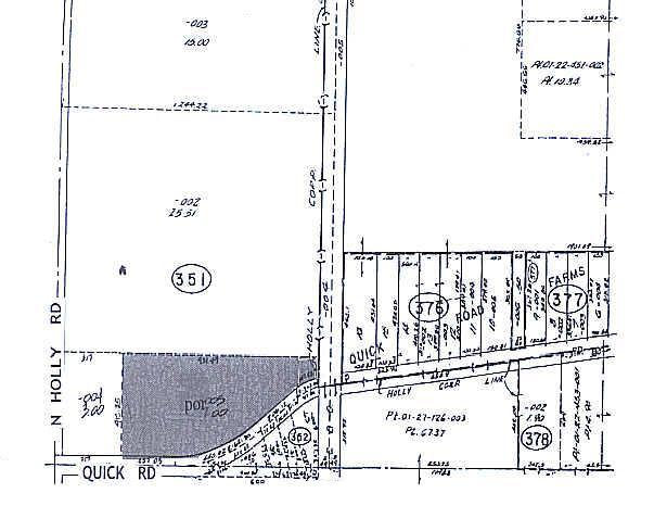
1 N Holly Rd
Holly, MI 48442
Land For Sale
·
6.21 AC

Investment Highlights
- Two separate parcels
- Can be purchased together or separate
Property Facts
1 Lot Available
Lot
| Price | $582,424 CAD | Lot Size | 6.21 AC |
| Price Per AC | $93,788.12 CAD |
| Price | $582,424 CAD |
| Price Per AC | $93,788.12 CAD |
| Lot Size | 6.21 AC |
Two separate parcels • Parcel A: 3471-3479 Grange Hall Rd, Holly, MI 48422 • 10.63 AC • Water & Sewer on Site • Parcel ID: 01-28-277-002 • Zoning: RI-A • Allows for Single-Family housing • Parcel B: Holly & Quick Rd, Holly, MI 48442 • 6.21 AC • Water
Property Taxes
| Parcel Number | 01-22-351-008 | Improvements Assessment | $0 CAD |
| Land Assessment | $0 CAD | Total Assessment | $36,042 CAD |
Property Taxes
Parcel Number
01-22-351-008
Land Assessment
$0 CAD
Improvements Assessment
$0 CAD
Total Assessment
$36,042 CAD
1 of 2
Videos
Matterport 3D Exterior
Matterport 3D Tour
Photos
Street View
Street
Map
