Your email has been sent.
10 Avon St - 2025 Strong Rent Increases - High Demand 6.6 Acres of Residential Land in Lewiston, ME 04240



Investment Highlights
- 244 Units - Fully Approved - Development-100% Market Rate
- Minutes to Major Medical Centers, Bates College, I-95 and Rte 202
- Strong Demand For Housing
- 800' Overlooking the Androscoggin River
- TIF Tax Increment Financing Eligible 63% Reduction for 20 Years
- Employment: 3,000+ Local Healthcare Jobs
Executive Summary
OPPORTUNITY:
- Approvals and Pre-Development Work Completed
- Population Growth – More than Double the State Pace
- Strong Demand for Housing
- Employment: 3,000+ Local Healthcare jobs
- Population: Second Largest City in Maine
- TIF - Tax Increment Financing: 63% Tax Reduction for 20 Years
- Attractive Financing Possible with Local and Regional Banks
LOCATION:
- Excellent Highway Access: Minutes to I-95
- Close Proximity:
- Central Maine Medical Center (CMMC)
- St. Mary’s Regional Health Center
- Bates College
- City’s Planned Riverfront Revitalization
- Directly Across the River from Auburn
Property Facts
| Sale Type | Investment | Property Subtype | Residential |
| Sale Condition | Redevelopment Project | Proposed Use | |
| No. Lots | 1 | Total Lot Size | 6.60 AC |
| Property Type | Land | No. Stories | 1 |
| Zoning | CV - Commercial - Village | ||
| Sale Type | Investment |
| Sale Condition | Redevelopment Project |
| No. Lots | 1 |
| Property Type | Land |
| Property Subtype | Residential |
| Proposed Use | |
| Total Lot Size | 6.60 AC |
| No. Stories | 1 |
| Zoning | CV - Commercial - Village |
1 Lot Available
Lot
| Lot Size | 6.60 AC |
| Lot Size | 6.60 AC |
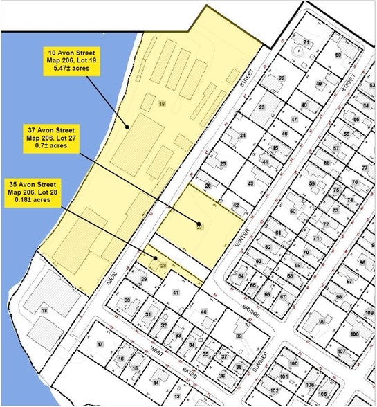
- Total Lot Size: 6.6 AC - 3 Parcels -10, 35 and 37 Avon St Lewiston ME - Permitted for Residential Units: 244 - Market Rate: 100% - Frontage: 800’ Overlooking the Androscoggin River
Description
244 Residential Units Approved and Permitted -100 % Market Rate - Located along the Androscoggin River Across from Auburn in Lewiston, Maine. TIF Tax Increment Financing Eligible for 63% Reduction in Taxes for 20 Years - Strong Demand for Housing - Close Proximity to 2 Major Medical Centers - CMMC. Central Maine Medical Center and St. Mary's Regional - Near Bates College and near the City's Planned Riverfront Revitalization Project - Attractive Financing Possible with Local and Regional Banks
Property Taxes
| Parcel Numbers | Improvements Assessment | $0 CAD | |
| Land Assessment | $459,523 CAD | Total Assessment | $459,523 CAD |
Property Taxes
Presented by
10 Avon St - 2025 Strong Rent Increases - High Demand
Hmm, there seems to have been an error sending your message. Please try again.
Thanks! Your message was sent.

