Your email has been sent.
10 Russell Rd - 10 Russel Rd. 11.44 Acres of Industrial Land Offered at $2,026,399 CAD in East Granby, CT 06026



Investment Highlights
- Shovel ready approval for 40k feet Trucking / Warehouse Terminal
- FAA Private Helicopter CT-50 Location
Executive Summary
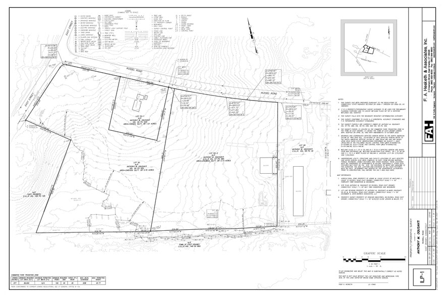
Property is surveyed, flagged, and currently under full approved for a 40,000sqft warehouse/trucking terminal.
Approx 900ft of frontage on East and Russell Rd. Many permitted uses including Medical, R&D, Labs, Light Manufacturing, Warehouse and Distribution, Retail, Indoor storage, Indoor recreation. Special uses include Assisted Living, Hotel, Multi family residential, Etc. 80x55ft hangar building. Close proximity to BDL, RT. 20, and I91. Right between Hartford and Springfield. East Granby is in the midst of an economic Renaissance and this is the perfect location for your business or vision. Close Proximity to Amazon Distribution Center, Walgreens Center, and Bradley Tradeport.
Property Facts
1 Lot Available
Lot
| Price | $2,026,399 CAD | Lot Size | 11.44 AC |
| Price Per AC | $177,132.76 CAD |
| Price | $2,026,399 CAD |
| Price Per AC | $177,132.76 CAD |
| Lot Size | 11.44 AC |
Three Parcels with @900ft frontage
Description
Private FAA heliport CT-50. Combination of three parcels totaling 11.44Acres in Industrial CPT Commerce Park Transition Zone. Property is surveyed, flagged, and currently shovel ready fully approved for a 40,000sqft warehouse/trucking terminal. Zoning allows up to 400,000sqft Approx 900ft of frontage on East and Russell Rd. Many permitted uses including Medical, R&D, Labs, Light Manufacturing, Warehouse and Distribution, Retail, Indoor storage, Indoor recreation. Special uses include Assisted Living, Hotel, Multi family residential, Etc. Single family house in move in condition on the property with an attached one car garage, full basement, metal roof, and central air. 60'x55'ft hangar building. Close proximity to BDL, RT. 20, and I91. Right between Hartford and Springfield. East Granby is in the midst of an economic Renaissance and this is the perfect location for your business or vision. Close Proximity to Amazon Distribution Center, Walgreens Center, and Bradley Tradeport. Seller open to considering owner financing.
Property Taxes
| Parcel Number | EGRA-000012-000000-000050-000001 | Improvements Assessment | $162,481 CAD |
| Land Assessment | $92,086 CAD | Total Assessment | $254,567 CAD |
Property Taxes
Presented by
10 Russell Rd - 10 Russel Rd.
Hmm, there seems to have been an error sending your message. Please try again.
Thanks! Your message was sent.
