Your email has been sent.
Investment Highlights
- Located within Forsyth’s established industrial corridor
- Less than one mile from I-75 (Exit 185)
Executive Summary
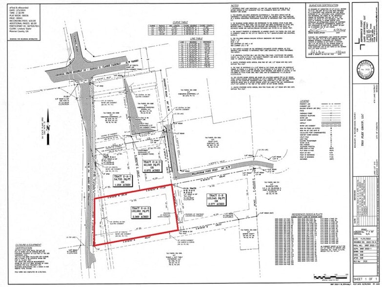
Property Facts
1 Lot Available
Lot
| Lot Size | 2.36 AC |
| Lot Size | 2.36 AC |
Description
Positioned within the established industrial corridor of Forsyth, this ±2.36-acre commercial land opportunity on Industrial Park Drive offers a highly versatile development site with mixed-use/commercial zoning and all utilities available, allowing for a wide range of potential uses including retail, office, warehouse, or expansion for industrial users. The property benefits from its proximity to major manufacturing and distribution operations such as Perdue Farms and Encore Plastics, creating strong synergy with surrounding industrial activity and an established workforce presence. Located approximately one quarter mile from Interstate 75 (Exit 185), the site offers exceptional regional connectivity for logistics, transportation, and commuting traffic, with daily traffic counts of approximately 94,000 vehicles on I-75 and 4,940 vehicles on Highway 18. With its strategic location in Monroe County, flexible zoning, utility availability, and close access to a major interstate corridor, this property presents a strong opportunity for businesses seeking visibility, accessibility, and long-term growth potential in one of the area’s key industrial and commercial hubs.
Property Taxes
| Parcel Number | 054-010C | Improvements Assessment | $0 CAD |
| Land Assessment | $130,587 CAD | Total Assessment | $130,587 CAD |
Property Taxes
Presented by
100 Industrial Park Dr
Hmm, there seems to have been an error sending your message. Please try again.
Thanks! Your message was sent.




