Log In/Sign Up
Your email has been sent.
100 Labrador Ln - Tealwood Residential Subdivision 62 Acres of Residential Land Offered at $3,129,173 CAD in Hallsville, TX 75650



Investment Highlights
- Hallsville ISD
- 180 lots ready to develop
- Very low inventory of lots
Executive Summary
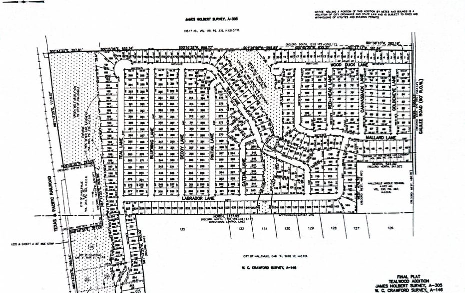
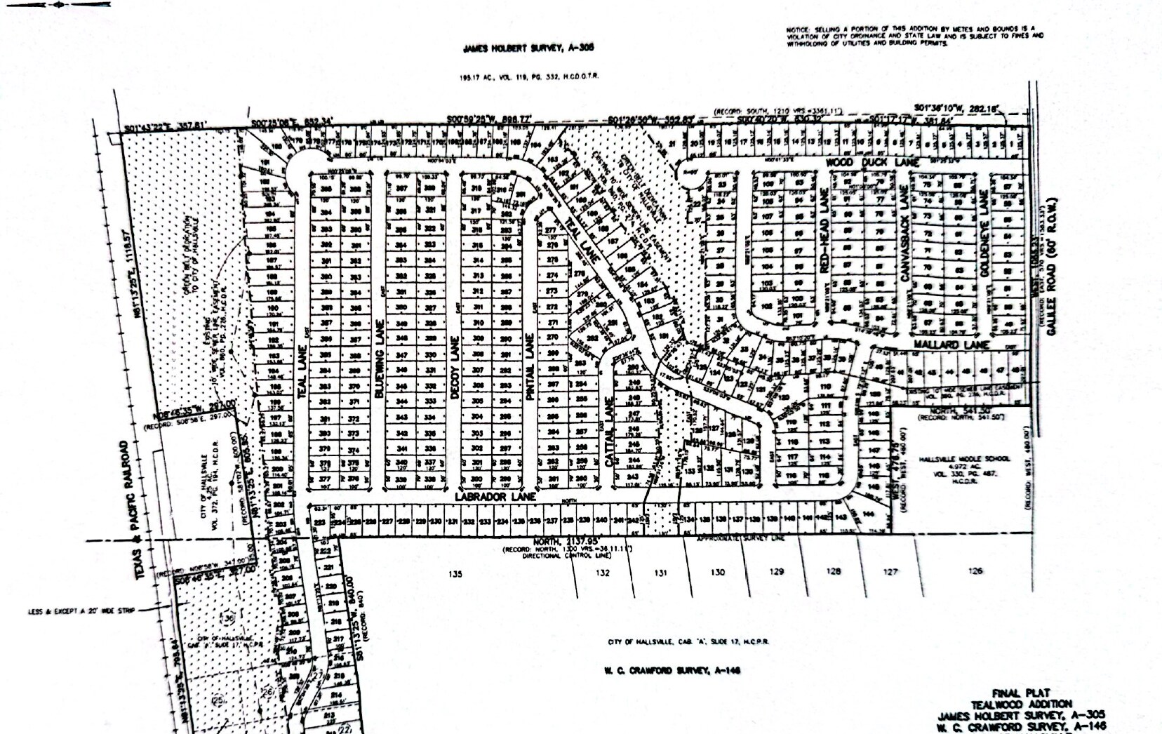
Opportunity to Develop the Final Phase of Tealwood Subdivision – Hallsville, TexasPresenting the next and final phase of the highly sought-after Tealwood Subdivision in Hallsville, TX. This ±62-acre tract is fully equipped with city water and city sewer, and is ready for immediate development. Preliminary plans indicate the potential for approximately 180 residential lots.
All Utilities Available: City water and sewer in place
Prime Development Ready: Plat available upon request
Lot Pricing: Typical lot values range from $60,000 to $75,000
Exceptional School District: Located in the renowned Hallsville ISD
High Demand Location: Strong market for new residential homes
Don’t miss this chance to shape the final phase of one of Hallsville’s most desirable neighborhoods.
All Utilities Available: City water and sewer in place
Prime Development Ready: Plat available upon request
Lot Pricing: Typical lot values range from $60,000 to $75,000
Exceptional School District: Located in the renowned Hallsville ISD
High Demand Location: Strong market for new residential homes
Don’t miss this chance to shape the final phase of one of Hallsville’s most desirable neighborhoods.
Property Facts
| Price | $3,129,173 CAD | Property Subtype | Residential |
| Sale Type | Investment | Proposed Use | Commercial |
| No. Lots | 1 | Total Lot Size | 62.00 AC |
| Property Type | Land | ||
| Zoning | Residential - Single Family Homes 1500 SF Minimum | ||
| Price | $3,129,173 CAD |
| Sale Type | Investment |
| No. Lots | 1 |
| Property Type | Land |
| Property Subtype | Residential |
| Proposed Use | Commercial |
| Total Lot Size | 62.00 AC |
| Zoning | Residential - Single Family Homes 1500 SF Minimum |
1 Lot Available
Lot
| Price | $3,129,173 CAD | Lot Size | 62.00 AC |
| Price Per AC | $50,470.53 CAD |
| Price | $3,129,173 CAD |
| Price Per AC | $50,470.53 CAD |
| Lot Size | 62.00 AC |
Opportunity to Develop the Final Phase of Tealwood Subdivision – Hallsville, Texas
1 1
Somewhat walkable
20/100
Exceptionally drivable
100/100
Somewhat bikeable
30/100
1 of 7
Videos
Matterport 3D Exterior
Matterport 3D Tour
Photos
Street View
Street
Map
1 of 1
Presented by
100 Labrador Ln - Tealwood Residential Subdivision
Already a member? Log In
Hmm, there seems to have been an error sending your message. Please try again.
Thanks! Your message was sent.
