Log In/Sign Up
Your email has been sent.
1002 E Stearns Blvd
La Habra, CA 90631
Sunset and Stearns · Land For Sale
·
0.92 AC


Executive Summary
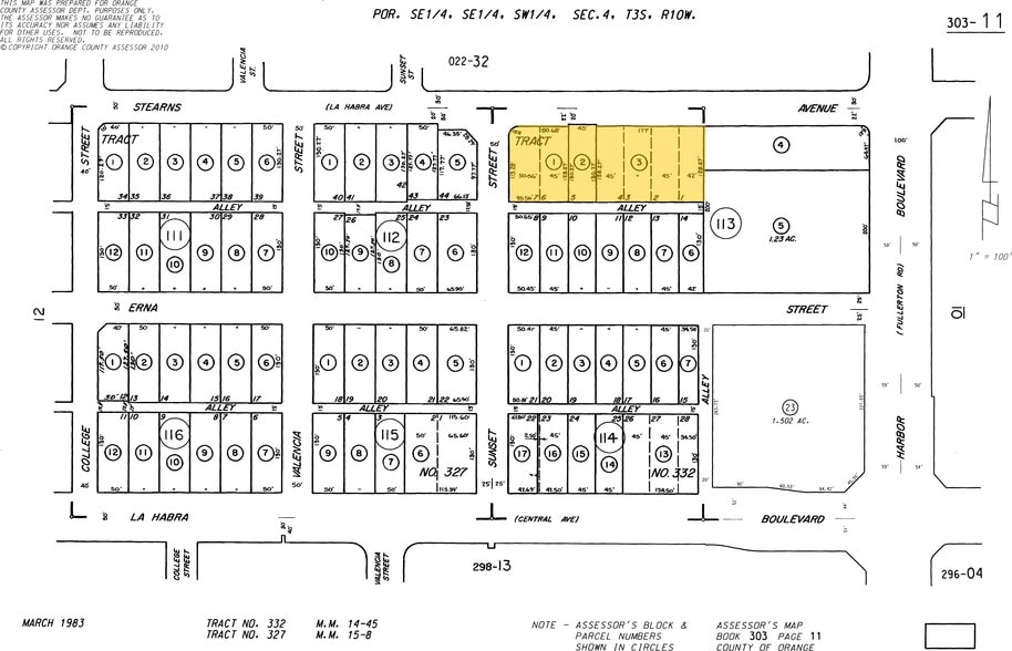
3 parcels available 303-113-01, 02 & 03. Part of the La Habra Specific Plan. The City of La Habra just approved plans for a 19-unit townhome project. The entire lot is 40,000 Square feet. All Subject to reconfiguration.
Just West of 201 N Harbor which is also available for sale with 72,875sf. North of 115 N Harbor which is for Ground Lease.
Just West of 201 N Harbor which is also available for sale with 72,875sf. North of 115 N Harbor which is for Ground Lease.
Property Facts
1 Lot Available
Lot
| Lot Size | 0.92 AC |
| Lot Size | 0.92 AC |
Part of the La Habra Specific Plan. The City of La Habra just approved plans for a 19-unit townhome project. The entire lot is 40,000 Square feet. All Subject to reconfiguration.
Property Taxes
| Parcel Numbers | Improvements Assessment | $59,621 CAD | |
| Land Assessment | $1,303,511 CAD | Total Assessment | $1,363,133 CAD |
Property Taxes
Parcel Numbers
Land Assessment
$1,303,511 CAD
Improvements Assessment
$59,621 CAD
Total Assessment
$1,363,133 CAD
1 of 3
Videos
Matterport 3D Exterior
Matterport 3D Tour
Photos
Street View
Street
Map
