Your email has been sent.
SPACE AVAILABILITY (1)
Display Rental Rate as
- SPACE
- SIZE
- TERM
- RENTAL RATE
- RENT TYPE
| Space | Size | Term | Rental Rate | Rent Type | ||
| 1st Floor | 3,000-30,000 SF | Negotiable | Upon Request Upon Request Upon Request Upon Request | TBD |
1st Floor
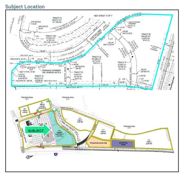
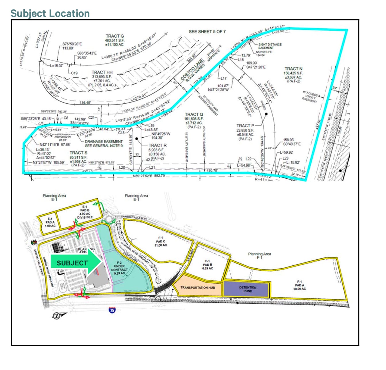
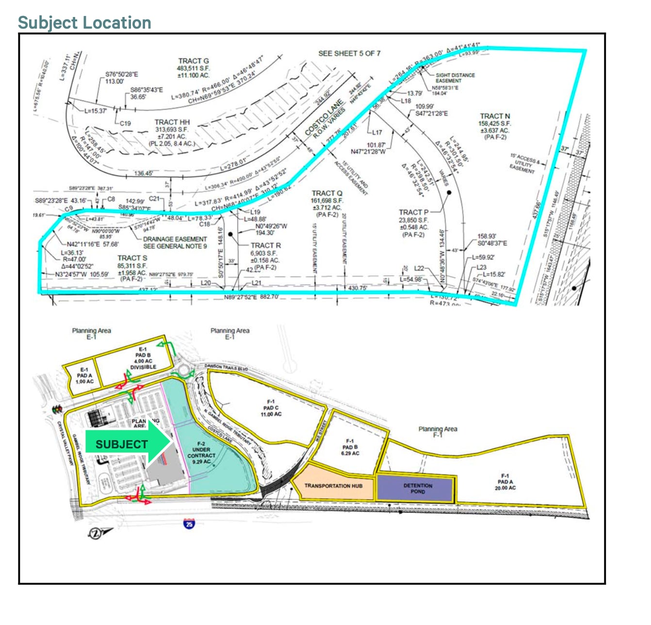
Prime Retail Opportunity at Dawson Trails – Castle Rock , CO Discover an exceptional opportunity to secure premium retail space in one of Colorado's fastest-growing markets. Located at the southwest corner of Ike Street and Costco Lane in Castle Rock, Dawson Trails Tracts N, Q, and S encompass . acres (, SF) of prime commercial land within an approved Planned Development (PD) zone. This super pad site is strategically positioned for maximum visibility and is directly accessible from the new interchange at I- and Crystal Valley. It is adjacent to a proposed Costco Wholesale warehouse, set for estimated completion in Q —a proven traffic magnet that will drive thousands of daily shoppers directly to your doorstep. Unmatched Location and Accessibility Situated just north of the under-construction Interstate interchange at Crystal Valley Parkway/Territorial Road (anticipated completion Q ), providing seamless regional connectivity for customers from Denver, Colorado Springs, and beyond. Direct access via proposed roadways and shared parking with the adjacent Costco, ensuring high foot traffic and convenience. Part of the expansive Dawson Trails Planned Development, with utilities (water/sewer from the Town of Castle Rock) and public roadways extended to the site at no cost to tenants – ready for efficient build-out of multi-tenant retail spaces. Thriving Market and Growth Potential Surrounded by explosive residential and commercial expansion: The nearby Crystal Valley Parkway area is approved for , new homes and . million square feet of additional retail, fueling long-term demand. Affluent demographics in a -mile radius: population of , (projected to grow to , by ), median household income of $,, and average household income of $, – ideal for national retailers targeting high-spending consumers. Stable and recovering retail market: The Denver metro area shows positive net absorption (projected , SF by end of in the Southeast Outlying submarket) with occupancy rates at .% and asking rents rising to $./SF by . Development-Ready for National Tenants This site is zoned for development into flexible, multi-tenant retail spaces available for lease or sale – perfect for big-box anchors, dining concepts, or specialty retailers. This development will be offered for pre-leasing currently to lock a location next to the newest Costco in Colorado. Highest and best use identified as retail development, capitalizing on the site's proximity to Costco and the new I- interchange for unparalleled exposure in a high-growth corridor. Position your brand at the heart of Castle Rock's retail renaissance. With Costco's draw, superior demographics, and infrastructure advantages, Dawson Trails offers a rare chance to capture market share in a burgeoning trade area. Contact us today to explore leasing opportunities and be part of this dynamic retail destination!
Rent Types
The rent amount and type that the tenant (lessee) will be responsible to pay to the landlord (lessor) throughout the lease term is negotiated prior to both parties signing a lease agreement. The rent type will vary depending upon the services provided. For example, triple net rents are typically lower than full service rents due to additional expenses the tenant is required to pay in addition to the base rent. Contact the listing broker for a full understanding of any associated costs or additional expenses for each rent type.
1. Full Service: A rental rate that includes normal building standard services as provided by the landlord within a base year rental.
2. Double Net (NN): Tenant pays for only two of the building expenses; the landlord and tenant determine the specific expenses prior to signing the lease agreement.
3. Triple Net (NNN): A lease in which the tenant is responsible for all expenses associated with their proportional share of occupancy of the building.
4. Modified Gross: Modified Gross is a general type of lease rate where typically the tenant will be responsible for their proportional share of one or more of the expenses. The landlord will pay the remaining expenses. See the below list of common Modified Gross rental rate structures: 4. Plus All Utilities: A type of Modified Gross Lease where the tenant is responsible for their proportional share of utilities in addition to the rent. 4. Plus Cleaning: A type of Modified Gross Lease where the tenant is responsible for their proportional share of cleaning in addition to the rent. 4. Plus Electric: A type of Modified Gross Lease where the tenant is responsible for their proportional share of the electrical cost in addition to the rent. 4. Plus Electric & Cleaning: A type of Modified Gross Lease where the tenant is responsible for their proportional share of the electrical and cleaning cost in addition to the rent. 4. Plus Utilities and Char: A type of Modified Gross Lease where the tenant is responsible for their proportional share of the utilities and cleaning cost in addition to the rent. 4. Industrial Gross: A type of Modified Gross lease where the tenant pays one or more of the expenses in addition to the rent. The landlord and tenant determine these prior to signing the lease agreement.
5. Tenant Electric: The landlord pays for all services and the tenant is responsible for their usage of lights and electrical outlets in the space they occupy.
6. Negotiable or Upon Request: Used when the leasing contact does not provide the rent or service type.
7. TBD: To be determined; used for buildings for which no rent or service type is known, commonly utilized when the buildings are not yet built.
SITE PLAN
PROPERTY FACTS
| Total Space Available | 30,000 SF | Gross Leasable Area | 70,000 SF |
| Min. Divisible | 3,000 SF | Year Built | 2028 |
| Property Type | Retail | Construction Status | Proposed |
| Property Subtype | Storefront |
| Total Space Available | 30,000 SF |
| Min. Divisible | 3,000 SF |
| Property Type | Retail |
| Property Subtype | Storefront |
| Gross Leasable Area | 70,000 SF |
| Year Built | 2028 |
| Construction Status | Proposed |
ABOUT THE PROPERTY
Prime Retail Opportunity at Dawson Trails - Castle Rock CO Discover an exceptional opportunity to secure premium retail space in one of Colorado's fastest-growing markets. Located at the southwest corner of Ike Street and Costco Lane in Castle Rock, Dawson Trails Tracts N, Q, and S encompass 9.31 acres (405,435 SF) of prime commercial land within an approved Planned Development (PD) zone. This super pad site is strategically positioned for maximum visibility and is directly accessible from the new interchange at I-25 and Crystal Valley. It is adjacent to a proposed Costco Wholesale warehouse, set for estimated completion in Q1 2027—a proven traffic magnet that will drive thousands of daily shoppers directly to your doorstep. Unmatched Location and Accessibility Situated just north of the under-construction Interstate 25 interchange at Crystal Valley Parkway/Territorial Road (anticipated completion Q1 2027), providing seamless regional connectivity for customers from Denver, Colorado Springs, and beyond. Direct access via proposed roadways and shared parking with the adjacent Costco, ensuring high foot traffic and convenience. Part of the expansive Dawson Trails Planned Development, with utilities (water/sewer from the Town of Castle Rock) and public roadways extended to the site at no cost to tenants – ready for efficient build-out of multi-tenant retail spaces. Thriving Market and Growth Potential Surrounded by explosive residential and commercial expansion: The nearby Crystal Valley Parkway area is approved for 5,850 new homes and 3.2 million square feet of additional retail, fueling long-term demand. Affluent demographics in a 5-mile radius: 2024 population of 76,203 (projected to grow to 84,469 by 2029), median household income of $150,864, and average household income of $181,317 – ideal for national retailers targeting high-spending consumers. Stable and recovering retail market: The Denver metro area shows positive net absorption (projected 33,000 SF by end of 2025 in the Southeast Outlying submarket) with occupancy rates at 98.6%. Development-Ready for National Tenants This site is zoned for development into flexible, multi-tenant retail spaces available for lease or sale – perfect for big-box anchors, dining concepts, or specialty retailers. This development will be offered for pre-leasing currently to lock a location next to the newest Costco in Colorado. Highest and best use identified as retail development, capitalizing on the site's proximity to Costco and the new I-25 interchange for unparalleled exposure in a high-growth corridor. Position your brand at the heart of Castle Rock's retail renaissance. With Costco's draw, superior demographics, and infrastructure advantages, Dawson Trails offers a rare chance to capture market share in a burgeoning trade area. Contact us today to explore leasing opportunities and be part of this dynamic retail destination! Development-Ready for National Tenants This site is zoned for development into flexible, multi-tenant retail spaces available for lease or sale – perfect for big-box anchors, dining concepts, or specialty retailers. This development will be offered for pre-leasing currently to lock a location next to the newest Costco in Colorado. Highest and best use identified as retail development, capitalizing on the site's proximity to Costco and the new I- interchange for unparalleled exposure in a high-growth corridor. Position your brand at the heart of Castle Rock's retail renaissance. With Costco's draw, superior demographics, and infrastructure advantages, Dawson Trails offers a rare chance to capture market share in a burgeoning trade area. Contact us today to explore leasing opportunities and be part of this dynamic retail destination!
NEARBY MAJOR RETAILERS
Presented by
101 Dawson Dr
Hmm, there seems to have been an error sending your message. Please try again.
Thanks! Your message was sent.







