Log In/Sign Up
Your email has been sent.
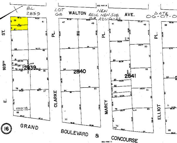
101-103 e 169th 101 E 169th St 6,768 SF 100% Leased Retail Building Bronx, NY 10452 $6,368,051 CAD ($940.91 CAD/SF)


Executive Summary
Chess Realty Advisors has been exclusively retained to arrange for the sale of 101-103 E 169th Street:
Prime corner development site for sale in the Concourse section of the Bronx. Both properties feature over 100' of wraparound frontage, located in a R8 zoning and are within 100' of a wide street. Lot Dim are 68 X 85.22. As of right, both sites yield close to 42K with an option to purchase an additional 23K of air rights for sub $60/PBSF. Residential component to be delivered vacant. Retail on M-T-M. Phase 1 completed. Two blocks away from Jerome Ave main retail corridor and the B,D train on the Grand Concourse.
Please inquire for additional details.
Prime corner development site for sale in the Concourse section of the Bronx. Both properties feature over 100' of wraparound frontage, located in a R8 zoning and are within 100' of a wide street. Lot Dim are 68 X 85.22. As of right, both sites yield close to 42K with an option to purchase an additional 23K of air rights for sub $60/PBSF. Residential component to be delivered vacant. Retail on M-T-M. Phase 1 completed. Two blocks away from Jerome Ave main retail corridor and the B,D train on the Grand Concourse.
Please inquire for additional details.
Property Facts
Sale Type
Investment
Property Type
Retail
Property Subtype
Storefront Retail/Residential
Building Size
6,768 SF
Building Class
C
Year Built
1920
Price
$6,368,051 CAD
Price Per SF
$940.91 CAD
Percent Leased
100%
Building Height
3 Stories
Building FAR
1.16
Lot Size
0.13 AC
Zoning
R8, Bronx, (S9)
Frontage
43’ on 169Th St
Exceptionally walkable
100/100
Somewhat drivable
30/100
Exceptional public transit
100/100
Moderately bikeable
70/100
Nearby Major Retailers
Property Taxes
| Parcel Number | 02839-0039 | Improvements Assessment | $474,927 CAD |
| Land Assessment | $49,037 CAD | Total Assessment | $523,965 CAD |
Property Taxes
Parcel Number
02839-0039
Land Assessment
$49,037 CAD
Improvements Assessment
$474,927 CAD
Total Assessment
$523,965 CAD
1 of 3
Videos
Matterport 3D Exterior
Matterport 3D Tour
Photos
Street View
Street
Map
Presented by
101-103 e 169th | 101 E 169th St
Already a member? Log In
Hmm, there seems to have been an error sending your message. Please try again.
Thanks! Your message was sent.
