Log In/Sign Up
Your email has been sent.
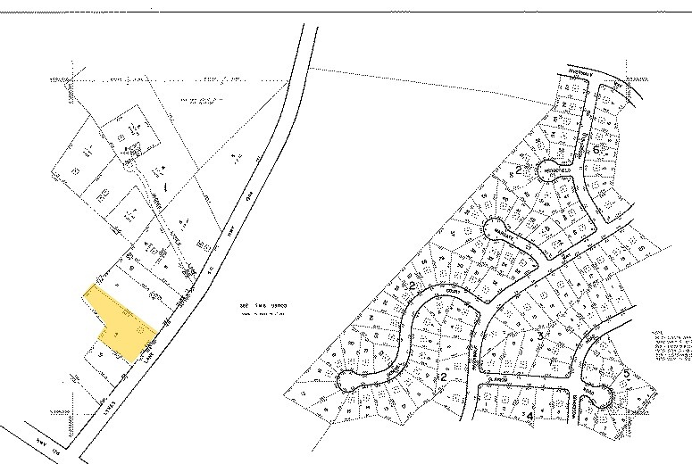
1017 Lykes Ln 1.1 Acres of Commercial Land Offered at $239,487 CAD in Irmo, SC 29063



Investment Highlights
- Next to Publix anchored shopping center
Executive Summary
1.17 Acre Development Opportunity
.Adjacent to Publix anchored shopping center
. Additional adjacent land available
. TMS #: R05008-01-14
. Zoning: General Commercial
.Adjacent to Publix anchored shopping center
. Additional adjacent land available
. TMS #: R05008-01-14
. Zoning: General Commercial
Property Facts
| Price | $239,487 CAD | Property Subtype | Commercial |
| Sale Type | Investment | Proposed Use | |
| No. Lots | 1 | Total Lot Size | 1.10 AC |
| Property Type | Land | ||
| Zoning | GC - Commercial | ||
| Price | $239,487 CAD |
| Sale Type | Investment |
| No. Lots | 1 |
| Property Type | Land |
| Property Subtype | Commercial |
| Proposed Use | |
| Total Lot Size | 1.10 AC |
| Zoning | GC - Commercial |
1 Lot Available
Lot
| Price | $239,487 CAD | Lot Size | 1.10 AC |
| Price Per AC | $217,715.91 CAD |
| Price | $239,487 CAD |
| Price Per AC | $217,715.91 CAD |
| Lot Size | 1.10 AC |
Description
1.17 Acre Development Opportunity . Adjacent to Publix anchored shopping center . Additional adajcent land available . TMS #: R05008-01-14 . Zoning: General Commercial
Fairly walkable
50/100
Exceptionally drivable
100/100
Somewhat bikeable
30/100
Property Taxes
| Parcel Number | 05008-01-14 | Improvements Assessment | $0 CAD |
| Land Assessment | $40,781 CAD | Total Assessment | $40,781 CAD |
Property Taxes
Parcel Number
05008-01-14
Land Assessment
$40,781 CAD
Improvements Assessment
$0 CAD
Total Assessment
$40,781 CAD
1 of 7
Videos
Matterport 3D Exterior
Matterport 3D Tour
Photos
Street View
Street
Map
Presented by
1017 Lykes Ln
Already a member? Log In
Hmm, there seems to have been an error sending your message. Please try again.
Thanks! Your message was sent.

