Log In/Sign Up
Your email has been sent.
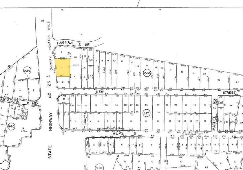
1028 State Route -23 0.4 Acres of Commercial Land Offered at $1,259,998 CAD in Wayne, NJ 07470



Property Facts
| Price | $1,259,998 CAD | Property Type | Land |
| Sale Type | Investment | Property Subtype | Commercial |
| Sale Condition | Build to Suit | Proposed Use | |
| No. Lots | 1 | Total Lot Size | 0.40 AC |
| Zoning | AE - Arterial Commercial | ||
| Price | $1,259,998 CAD |
| Sale Type | Investment |
| Sale Condition | Build to Suit |
| No. Lots | 1 |
| Property Type | Land |
| Property Subtype | Commercial |
| Proposed Use | |
| Total Lot Size | 0.40 AC |
| Zoning | AE - Arterial Commercial |
1 Lot Available
Lot
| Price | $1,259,998 CAD | Lot Size | 0.40 AC |
| Price Per AC | $3,118,806.86 CAD |
| Price | $1,259,998 CAD |
| Price Per AC | $3,118,806.86 CAD |
| Lot Size | 0.40 AC |
.40 of an acre on Route #23 North With a Road Cut. 1800 Square Foot Building on portion of land included in sale. Property Sold AS IS
1 1
Fairly walkable
40/100
Exceptionally drivable
100/100
Good public transit
60/100
Somewhat bikeable
30/100
Property Taxes
| Parcel Number | 14-00920-0000-00002 | Improvements Assessment | $71,940 CAD |
| Land Assessment | $239,344 CAD | Total Assessment | $311,284 CAD |
Property Taxes
Parcel Number
14-00920-0000-00002
Land Assessment
$239,344 CAD
Improvements Assessment
$71,940 CAD
Total Assessment
$311,284 CAD
1 of 5
Videos
Matterport 3D Exterior
Matterport 3D Tour
Photos
Street View
Street
Map
1 of 1
Presented by
KPLS Holding Company
1028 State Route -23
Already a member? Log In
Hmm, there seems to have been an error sending your message. Please try again.
Thanks! Your message was sent.
