Log In/Sign Up
Your email has been sent.
104-38 Jamaica Ave 7,000 SF Vacant Retail Building Jamaica, NY 11418 $7,327,948 CAD ($1,046.85 CAD/SF)



Executive Summary
Mixed-Use Development Opportunity – Package Sale
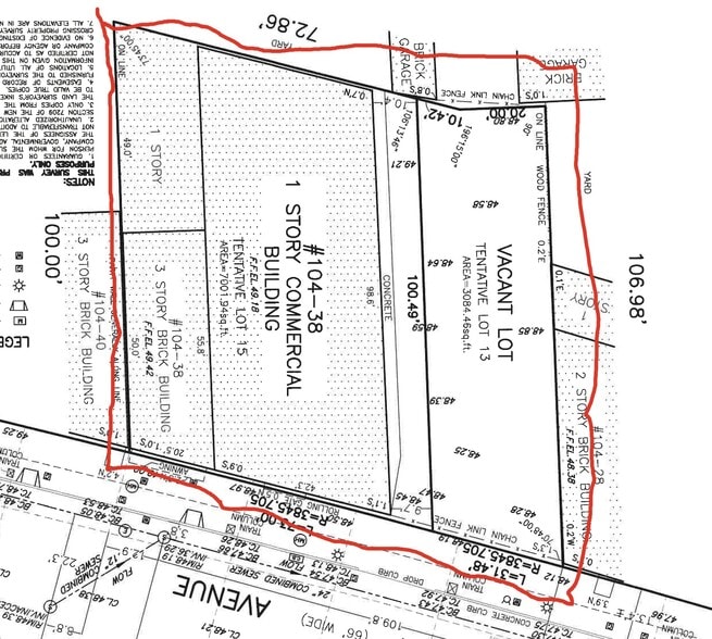
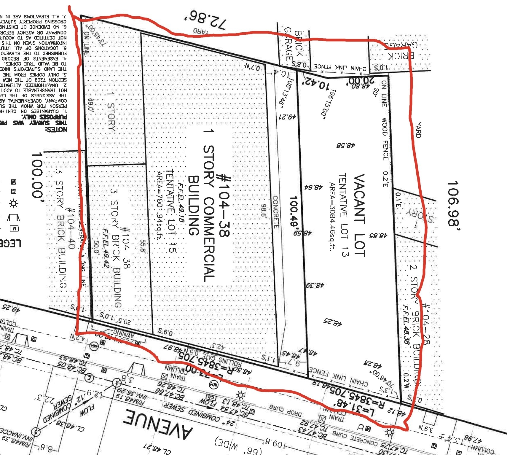
Rare investment and development opportunity! This package sale includes an existing mixed-use property featuring a 2-family residential building with ground-floor retail stores situated on a 70 × 100 ft lot, plus an additional vacant 30 × 100 ft lot. Located in an R6A zoning district with commercial overlay, the combined site offers exceptional potential for future mixed-use development. Ideal for investors or developers looking to build residential units with retail frontage in a growing neighborhood. With strong redevelopment possibilities and flexible zoning, this property presents a unique chance to create a larger income-producing project or long-term hold asset. Don’t miss this opportunity to unlock the full potential of this strategically positioned site
Rare investment and development opportunity! This package sale includes an existing mixed-use property featuring a 2-family residential building with ground-floor retail stores situated on a 70 × 100 ft lot, plus an additional vacant 30 × 100 ft lot. Located in an R6A zoning district with commercial overlay, the combined site offers exceptional potential for future mixed-use development. Ideal for investors or developers looking to build residential units with retail frontage in a growing neighborhood. With strong redevelopment possibilities and flexible zoning, this property presents a unique chance to create a larger income-producing project or long-term hold asset. Don’t miss this opportunity to unlock the full potential of this strategically positioned site
Property Facts
Sale Type
Investment or Owner User
Sale Condition
Redevelopment Project
Property Type
Retail
Property Subtype
Building Size
7,000 SF
Building Class
C
Year Built
1964
Price
$7,327,948 CAD
Price Per SF
$1,046.85 CAD
Percent Leased
Vacant
Tenancy
Multiple
Building Height
3 Stories
Building FAR
1.00
Lot Size
0.16 AC
Zoning
R6A, C2-4 - high-density residential zone (R6) allowing for various multi-family housing, while the C2-4 adds local retail and service business
Parking
12 Spaces (1.3 Spaces per 1,000 SF Leased)
Exceptionally walkable
100/100
Moderately drivable
60/100
Exceptional public transit
100/100
Moderately bikeable
70/100
Nearby Major Retailers
Property Taxes
| Parcel Number | 09289-0015 | Improvements Assessment | $578,547 CAD |
| Land Assessment | $128,899 CAD | Total Assessment | $707,446 CAD |
Property Taxes
Parcel Number
09289-0015
Land Assessment
$128,899 CAD
Improvements Assessment
$578,547 CAD
Total Assessment
$707,446 CAD
1 of 5
Videos
Matterport 3D Exterior
Matterport 3D Tour
Photos
Street View
Street
Map
Presented by
BUILDING 1 PROPERTY MANAGEMENT CORP
104-38 Jamaica Ave
Already a member? Log In
Hmm, there seems to have been an error sending your message. Please try again.
Thanks! Your message was sent.
