Log In/Sign Up
Your email has been sent.
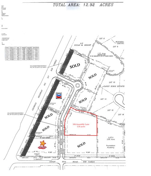
104 Assembly Ln - Commercial Lot off Highway 247 1.51 Acres of Commercial Land Offered at $270,242 CAD in Bonaire, GA 31005


Property Facts
| Price | $270,242 CAD | Property Subtype | Commercial |
| Sale Type | Investment or Owner User | Proposed Use | Commercial |
| No. Lots | 1 | Total Lot Size | 1.51 AC |
| Property Type | Land | ||
| Zoning | C-2 - Commercial | ||
| Price | $270,242 CAD |
| Sale Type | Investment or Owner User |
| No. Lots | 1 |
| Property Type | Land |
| Property Subtype | Commercial |
| Proposed Use | Commercial |
| Total Lot Size | 1.51 AC |
| Zoning | C-2 - Commercial |
1 Lot Available
Lot 7
| Price | $270,242 CAD | Lot Size | 1.51 AC |
| Price Per AC | $178,968.22 CAD |
| Price | $270,242 CAD |
| Price Per AC | $178,968.22 CAD |
| Lot Size | 1.51 AC |
Description
Level topography. All public utilities available to site. Master detention provided. Curb cuts in place. Existing road with curb and gutter. Additional lots available in the immediate area. See flyer or call Agent for details.
1 1
Somewhat walkable
20/100
Very drivable
80/100
Somewhat bikeable
30/100
Property Taxes
| Parcel Number | 0W1490007000 | Improvements Assessment | $0 CAD |
| Land Assessment | $107,947 CAD | Total Assessment | $107,947 CAD |
Property Taxes
Parcel Number
0W1490007000
Land Assessment
$107,947 CAD
Improvements Assessment
$0 CAD
Total Assessment
$107,947 CAD
1 of 3
Videos
Matterport 3D Exterior
Matterport 3D Tour
Photos
Street View
Street
Map
1 of 1
Presented by
104 Assembly Ln - Commercial Lot off Highway 247
Already a member? Log In
Hmm, there seems to have been an error sending your message. Please try again.
Thanks! Your message was sent.
