Log In/Sign Up
Your email has been sent.
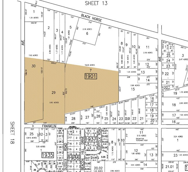
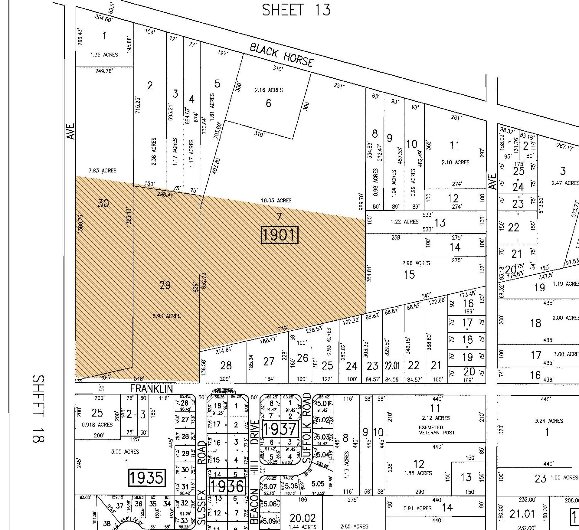
108 Franklin Ave
Egg Harbor Township, NJ 08234
Farmington Cove · Land For Sale
·
29.87 AC


Investment Highlights
- 55+- Lot Subdivision.
- High Demand area with Great School System.
- Public Water, Sewer, Electric, Cable at Site.
- Absorption Price Range: $279,900.00 to $350,000.00.
Executive Summary
Previously Approved 55+- Residential Subdivision that will need to be updated through Egg Harbor Township and the Pinelands. Site is serviced by Public Water, Sewer, Cable and Electric. Subdivision can be developed in phases. Approvals were completed by local professionals who would like the opportunity to meet with potential buyers to review, plans, permits and approvals to discuss what changes may need to be made prior to submitting for final plans to local, county and state agencies. Commercial parcel in front of subdivision is also available.
Property Facts Under Contract
| Sale Type | Investment | Property Subtype | Commercial |
| No. Lots | 1 | Proposed Use | Single Family Development |
| Property Type | Land | Total Lot Size | 29.87 AC |
| Zoning | RG-2 - RG2 zoning often applies to areas designated for low to moderate-density residential development, allowing for a mix of residential housing types. | ||
| Sale Type | Investment |
| No. Lots | 1 |
| Property Type | Land |
| Property Subtype | Commercial |
| Proposed Use | Single Family Development |
| Total Lot Size | 29.87 AC |
| Zoning | RG-2 - RG2 zoning often applies to areas designated for low to moderate-density residential development, allowing for a mix of residential housing types. |
1 Lot Available
Lot
| Price | $2,071,800 CAD | Lot Size | 29.87 AC |
| Price Per AC | $69,360.56 CAD |
| Price | $2,071,800 CAD |
| Price Per AC | $69,360.56 CAD |
| Lot Size | 29.87 AC |
Property Taxes
| Parcel Numbers | Improvements Assessment | $88,121 CAD | |
| Land Assessment | $2,364,614 CAD | Total Assessment | $2,452,735 CAD |
Property Taxes
Parcel Numbers
Land Assessment
$2,364,614 CAD
Improvements Assessment
$88,121 CAD
Total Assessment
$2,452,735 CAD
1 of 6
Videos
Matterport 3D Exterior
Matterport 3D Tour
Photos
Street View
Street
Map
