Log In/Sign Up
Your email has been sent.
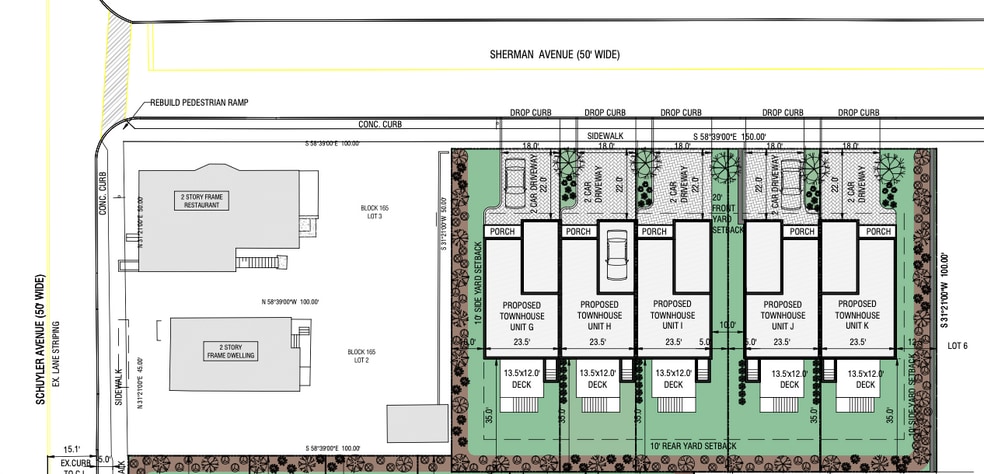
11-19 Sherman Ave 0.34 Acres of Residential Land Offered at $1,369,710 CAD in North Arlington, NJ 07031


Executive Summary
Calling all builders and developers ; Lot for sale with approved subdivision to build 5 townhouses in North Arlington Asking Price $ 1,000,000.
Plans available upon request. a walk-able / community-oriented location , within commuting distance of NYC, with good access to parks, amenities, and a diverse, . It’s likely a comfortable place for families, couples, or professionals who want a balance of suburban peace + city-area access.
Plans available upon request. a walk-able / community-oriented location , within commuting distance of NYC, with good access to parks, amenities, and a diverse, . It’s likely a comfortable place for families, couples, or professionals who want a balance of suburban peace + city-area access.
Property Facts
| Price | $1,369,710 CAD | Property Subtype | Residential |
| Sale Type | Investment | Proposed Use | |
| No. Lots | 1 | Total Lot Size | 0.34 AC |
| Property Type | Land | ||
| Zoning | 2 - Residential | ||
| Price | $1,369,710 CAD |
| Sale Type | Investment |
| No. Lots | 1 |
| Property Type | Land |
| Property Subtype | Residential |
| Proposed Use | |
| Total Lot Size | 0.34 AC |
| Zoning | 2 - Residential |
1 Lot Available
Lot
| Price | $1,369,710 CAD | Lot Size | 0.34 AC |
| Price Per AC | $4,028,558.73 CAD |
| Price | $1,369,710 CAD |
| Price Per AC | $4,028,558.73 CAD |
| Lot Size | 0.34 AC |
Moderately walkable
60/100
Exceptionally drivable
90/100
Limited public transit
30/100
Fairly bikeable
40/100
Property Taxes
| Parcel Number | 39-00165-0000-00004 | Improvements Assessment | $0 CAD |
| Land Assessment | $319,993 CAD | Total Assessment | $319,993 CAD |
Property Taxes
Parcel Number
39-00165-0000-00004
Land Assessment
$319,993 CAD
Improvements Assessment
$0 CAD
Total Assessment
$319,993 CAD
1 of 3
Videos
Matterport 3D Exterior
Matterport 3D Tour
Photos
Street View
Street
Map
Presented by
11-19 Sherman Ave
Already a member? Log In
Hmm, there seems to have been an error sending your message. Please try again.
Thanks! Your message was sent.

