Log In/Sign Up
Your email has been sent.
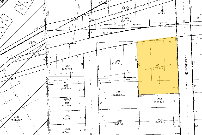
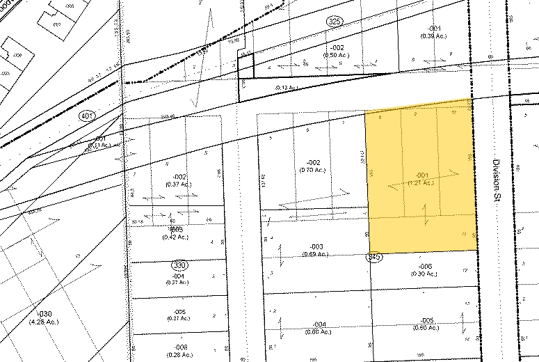
110 Division St 15,111 SF Industrial Building Manchester, MI 48158 $1,351,976 CAD ($89.47 CAD/SF)



Investment Highlights
- Multiple clear height sections up to 18 feet for flexible operations.
- Heavy power capacity with 600-amp main panel and 480-volt capability.
- Updated office space and employee breakroom for administrative comfort.
- Dock and grade-level loading for efficient shipping and receiving.
- On-site jib crane and compressed air lines to support production needs.
- Convenient access to Ann Arbor, Jackson, and Detroit via major highways.
Executive Summary
This versatile industrial facility offers a functional layout designed to support a wide range of manufacturing, fabrication, or light industrial operations. The property features multiple clear height sections ranging from 11 to 18 feet, providing flexibility for various production needs. Equipped with both dock and grade-level loading, the building ensures efficient logistics and material handling.
The site includes updated office space, a breakroom, and three restrooms, creating a comfortable environment for administrative and operational staff. Heavy power capacity with a 600-amp main panel and 480-volt capability supports demanding equipment requirements, while compressed air lines and a 1-ton jib crane add to the building’s operational readiness.
Situated on 1.10 acres with auto parking on both sides of the building, the property offers convenient access for employees and visitors. Located in Washtenaw County, the site provides connectivity to key regional markets, including Ann Arbor, Jackson, and Detroit, all within a short drive. This property is an excellent option for businesses seeking a well-equipped industrial space with expansion potential in a central Michigan location.
The site includes updated office space, a breakroom, and three restrooms, creating a comfortable environment for administrative and operational staff. Heavy power capacity with a 600-amp main panel and 480-volt capability supports demanding equipment requirements, while compressed air lines and a 1-ton jib crane add to the building’s operational readiness.
Situated on 1.10 acres with auto parking on both sides of the building, the property offers convenient access for employees and visitors. Located in Washtenaw County, the site provides connectivity to key regional markets, including Ann Arbor, Jackson, and Detroit, all within a short drive. This property is an excellent option for businesses seeking a well-equipped industrial space with expansion potential in a central Michigan location.
Property Facts
| Price | $1,351,976 CAD | No. Stories | 1 |
| Price Per SF | $89.47 CAD | Year Built | 1954 |
| Sale Type | Investment or Owner User | Tenancy | Single |
| Property Type | Industrial | Parking Ratio | 3.6/1,000 SF |
| Property Subtype | Manufacturing | Clear Ceiling Height | 15’ |
| Building Class | C | No. Dock-High Doors/Loading | 1 |
| Lot Size | 1.21 AC | No. Drive In / Grade-Level Doors | 1 |
| Rentable Building Area | 15,111 SF | ||
| Zoning | I-1 - Light Industrial | ||
| Price | $1,351,976 CAD |
| Price Per SF | $89.47 CAD |
| Sale Type | Investment or Owner User |
| Property Type | Industrial |
| Property Subtype | Manufacturing |
| Building Class | C |
| Lot Size | 1.21 AC |
| Rentable Building Area | 15,111 SF |
| No. Stories | 1 |
| Year Built | 1954 |
| Tenancy | Single |
| Parking Ratio | 3.6/1,000 SF |
| Clear Ceiling Height | 15’ |
| No. Dock-High Doors/Loading | 1 |
| No. Drive In / Grade-Level Doors | 1 |
| Zoning | I-1 - Light Industrial |
Amenities
- Bus Ducts
Somewhat walkable
20/100
Very drivable
80/100
Fairly bikeable
40/100
Property Taxes
| Parcel Number | 16-01-345-001 | Improvements Assessment | $0 CAD |
| Land Assessment | $0 CAD | Total Assessment | $323,969 CAD |
Property Taxes
Parcel Number
16-01-345-001
Land Assessment
$0 CAD
Improvements Assessment
$0 CAD
Total Assessment
$323,969 CAD
1 of 17
Videos
Matterport 3D Exterior
Matterport 3D Tour
Photos
Street View
Street
Map
Presented by
110 Division St
Already a member? Log In
Hmm, there seems to have been an error sending your message. Please try again.
Thanks! Your message was sent.

