Log In/Sign Up
Your email has been sent.
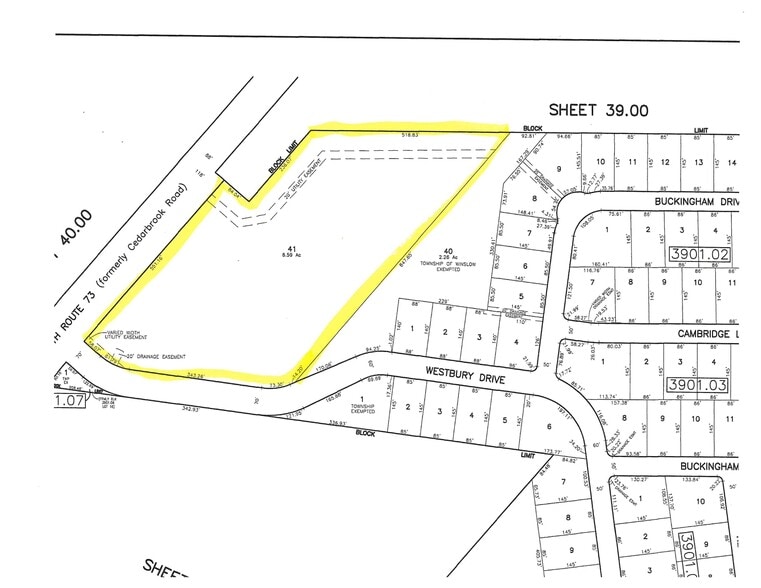
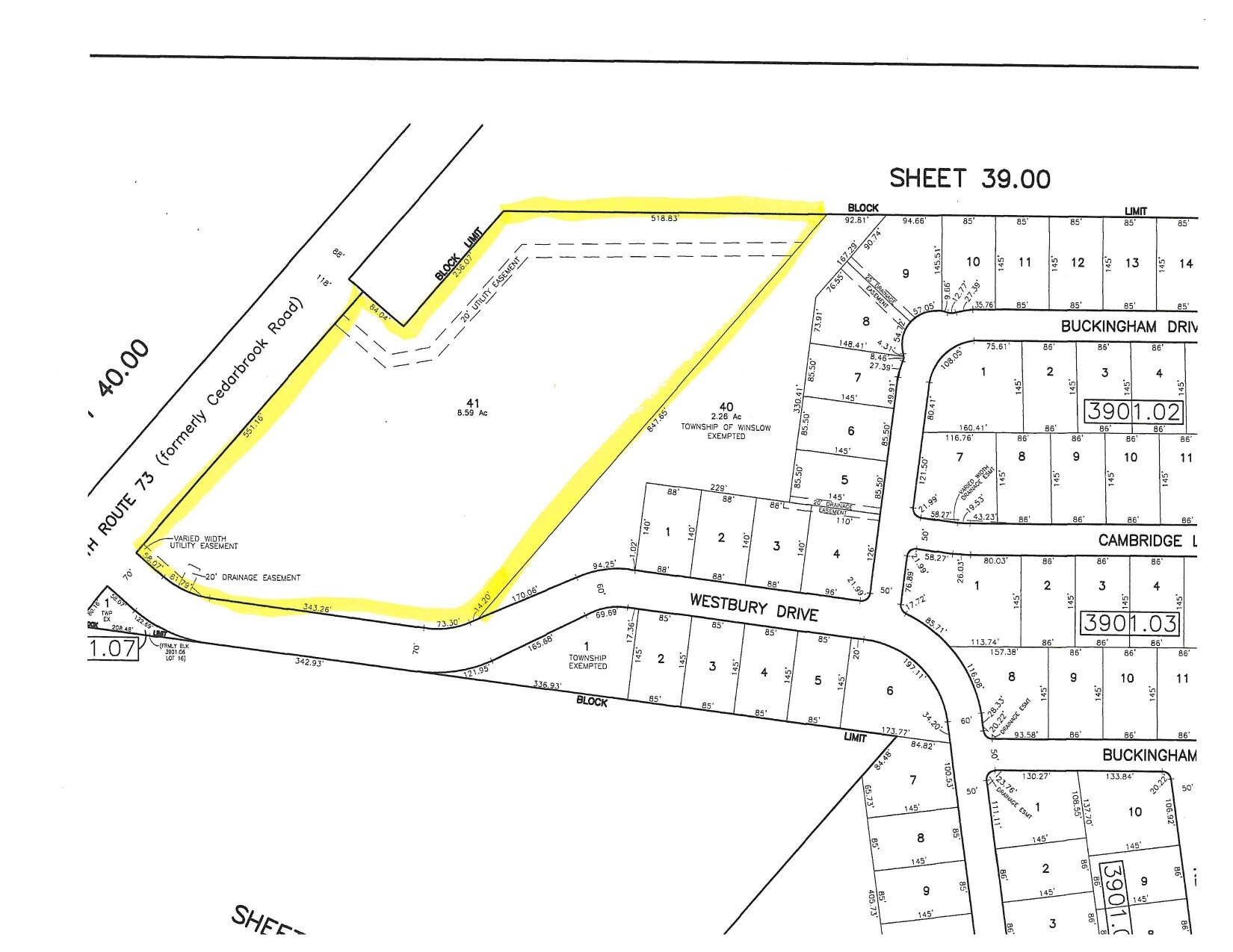
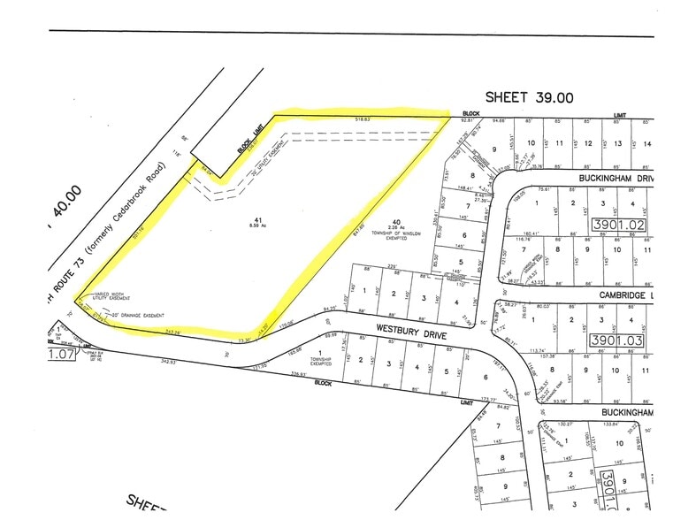
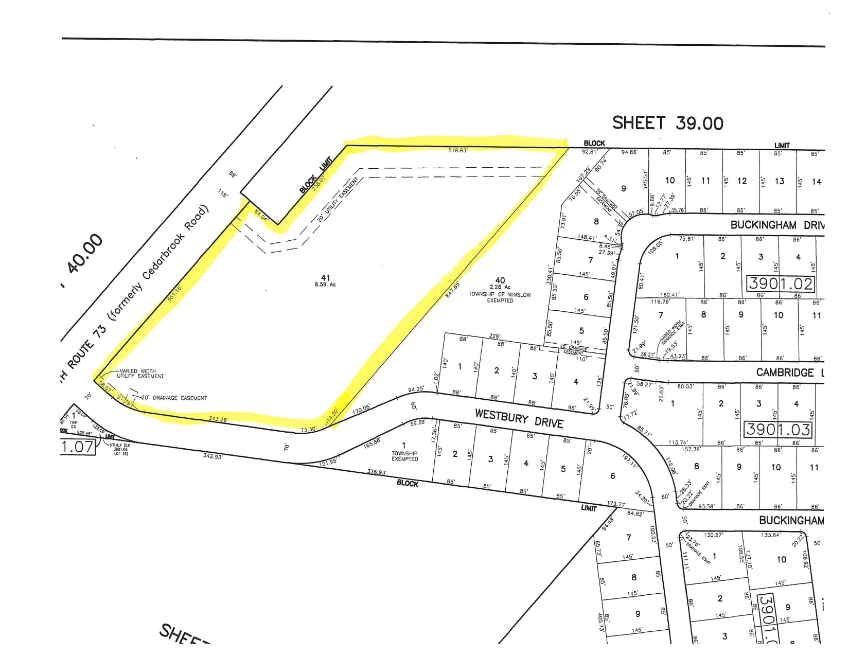
110 N Route 73
Berlin, NJ 08009
Land For Sale
·
9.00 AC


Investment Highlights
- Corner lot
- Heavy traffic
Executive Summary
Spectacular 9-acre commercial corner lot on heavily traveled Route 73. Over 550 ft of frontage with public water and sewer. Minutes to the AC Expressway and Route 30. Surrounded by established housing and just down the road from 500 new homes coming soon. Exceptional investment opportunity. See environmental information and zoning in Documents- PC-2. See possible Commercial Site Plan in Documents.
Property Facts
| Sale Type | Investment or Owner User | Property Subtype | Commercial |
| No. Lots | 1 | Total Lot Size | 9.00 AC |
| Property Type | Land | ||
| Zoning | PC1 - See attachment | ||
| Sale Type | Investment or Owner User |
| No. Lots | 1 |
| Property Type | Land |
| Property Subtype | Commercial |
| Total Lot Size | 9.00 AC |
| Zoning | PC1 - See attachment |
1 Lot Available
Lot
| Price | $903,305 CAD | Lot Size | 9.00 AC |
| Price Per AC | $100,367.23 CAD |
| Price | $903,305 CAD |
| Price Per AC | $100,367.23 CAD |
| Lot Size | 9.00 AC |
South on Route 73 to corner of Westbury Drive
1 of 10
Videos
Matterport 3D Exterior
Matterport 3D Tour
Photos
Street View
Street
Map
