Log In/Sign Up
Your email has been sent.
Investment Highlights
- Zoning: C-2
- Topography: Flat, level, and build-ready
- Entitlements: Drive-thru restaurant & self storage facility
Executive Summary
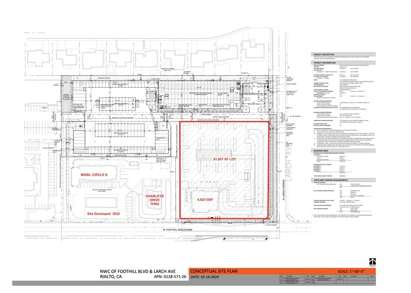
Rare opportunity in a high-demand commercial corridor! This C-2 zoned vacant lot offers exceptional flexibility and visibility along bustling Foothill Boulevard, making it an ideal site for developers, investors, or owner-users. The property is already entitled for both a self-storage facility and a drive-thru restaurant, significantly reducing entitlement time and accelerating development timelines.
Featuring approximately 150 feet of street frontage, dual access points, and level, build-ready topography, the site is fully prepped for construction. Utilities, including water, sewer, and electricity, are available at the property line. Located in a rapidly growing market with strong demographic trends, the site is surrounded by national retailers and service-oriented businesses, making it an attractive location for a wide range of uses.
The C-2 zoning allows for additional development options such as quick-service restaurants (QSR), EV charging stations, car washes, office or medical space, and even residential overlays where permitted. Whether you're looking to build and operate, lease, or hold as a long-term investment, this property checks all the boxes for high-visibility, high-opportunity commercial real estate.
Featuring approximately 150 feet of street frontage, dual access points, and level, build-ready topography, the site is fully prepped for construction. Utilities, including water, sewer, and electricity, are available at the property line. Located in a rapidly growing market with strong demographic trends, the site is surrounded by national retailers and service-oriented businesses, making it an attractive location for a wide range of uses.
The C-2 zoning allows for additional development options such as quick-service restaurants (QSR), EV charging stations, car washes, office or medical space, and even residential overlays where permitted. Whether you're looking to build and operate, lease, or hold as a long-term investment, this property checks all the boxes for high-visibility, high-opportunity commercial real estate.
Property Facts
| Price | $4,101,149 CAD | Property Type | Land |
| Sale Type | Investment or Owner User | Property Subtype | Commercial |
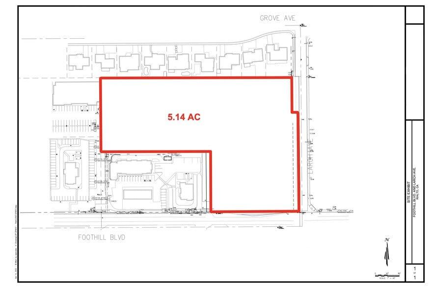
| No. Lots | 1 | Total Lot Size | 5.14 AC |
| Zoning | C2 - Commercial | ||
| Price | $4,101,149 CAD |
| Sale Type | Investment or Owner User |
| No. Lots | 1 |
| Property Type | Land |
| Property Subtype | Commercial |
| Total Lot Size | 5.14 AC |
| Zoning | C2 - Commercial |
1 Lot Available
Lot
| Price | $4,101,149 CAD | Lot Size | 5.14 AC |
| Price Per AC | $797,888.87 CAD |
| Price | $4,101,149 CAD |
| Price Per AC | $797,888.87 CAD |
| Lot Size | 5.14 AC |
Prime C-2 Zoned Development Site | Drive-Thru & Self Storage Entitled. Located on a high-traffic corridor with excellent frontage and visibility. Minutes from major freeways and dense residential neighborhoods.
Description
Vacant land
1 1
Property Taxes
| Parcel Number | 0128-571-26 | Improvements Assessment | $0 CAD |
| Land Assessment | $4,184,546 CAD | Total Assessment | $4,184,546 CAD |
Property Taxes
Parcel Number
0128-571-26
Land Assessment
$4,184,546 CAD
Improvements Assessment
$0 CAD
Total Assessment
$4,184,546 CAD
1 of 4
Videos
Matterport 3D Exterior
Matterport 3D Tour
Photos
Street View
Street
Map
1 of 1
Presented by
1100 W Foothill Blvd
Already a member? Log In
Hmm, there seems to have been an error sending your message. Please try again.
Thanks! Your message was sent.



