Your email has been sent.
1116 KY Highway 1273 - 26-Lot Subdivision Opportunity | Undeveloped 19.43 Acres of Commercial Land Offered at $1,046,940 CAD in Danville, KY 40422



INVESTMENT HIGHLIGHTS
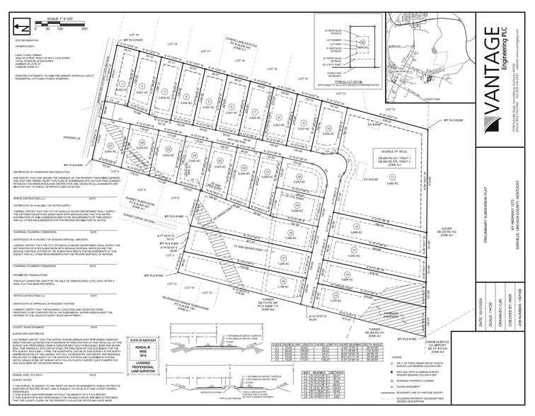
- 26 Approved Residential Lots on ±20 acres in Lincoln County, KY
- Utilities available: water, electric, and high-speed internet nearby
- Strong local housing demand driven by job and population growth
- Prime location between Stanford and Danville, minutes to U.S. 27 and KY-150
- Gently rolling, buildable terrain ideal for new construction
- Close to Centre College, Ephraim McDowell Health, and Danville Airport
EXECUTIVE SUMMARY
The property is situated along State Highway 1273, providing quick access to U.S. 27, KY-150, and the expanding Danville retail corridor, where major national tenants such as Walmart, Lowe’s, Starbucks, and Chick-fil-A are driving continued growth. The site’s gently rolling topography, rural views, and convenient location make it ideal for a new residential subdivision that blends country living with easy urban access.
Location Highlights
Just 10 minutes to Danville – one of Central Kentucky’s most active small cities with a strong employment base and medical, educational, and retail anchors.
Centre College, Ephraim McDowell Regional Medical Center, and Boyle County Industrial Park are major employment hubs supporting consistent housing demand.
Less than 45 minutes to Lexington via U.S. 27, providing access to regional amenities while maintaining small-town affordability.
Near the Danville-Boyle County Airport, facilitating business travel and logistics opportunities.
Stanford and Danville serve as the economic and cultural center for Lincoln and Boyle Counties, drawing professionals, educators, and healthcare workers. Residential absorption in the area remains high, with limited new construction inventory available in the sub-$400K range — creating a prime window for new development.
Property Overview
26 Planned Residential Lots with preliminary engineering completed.
Total Site Area: ±20 acres (to be verified by survey).
Utilities: Water, electric, and high-speed internet available along KY-1273.
Topography: Gently rolling with excellent drainage and buildable elevations.
Zoning: Residential (Lincoln County).
Access: Direct frontage along State Highway 1273, connecting to U.S. 27.
Surroundings: Mix of residential, agricultural, and small commercial uses, ideal for a new neighborhood concept.
Market Context
Central Kentucky continues to experience steady population and employment growth, driven by expansions in education, healthcare, and light manufacturing. Corning Glass in nearby Harrodsburg recently expanded operations to supply Apple with Gorilla Glass components, reinforcing strong regional job creation. Combined with the growth of Centre College and the Danville-Boyle County Economic Development Authority’s industrial recruitment efforts, the demand for new single-family housing continues to outpace supply.
Residential lots in Danville and Lincoln County remain scarce, particularly those with utility access and proximity to major corridors. This site provides developers an efficient path to deliver new product in a high-absorption area with excellent long-term growth fundamentals.
Development Potential
The proposed 26-lot layout has been conceptually designed to maximize usability and aesthetic appeal while maintaining infrastructure efficiency. The property’s natural contour allows for attractive homesites with minimal grading, and the proximity to existing residential development simplifies utility extension.
With appropriate subdivision approvals and modest infrastructure investment, the site could be developed into a mix of entry-level and mid-range homes, addressing the region’s strongest segment of demand. Builders can expect healthy absorption rates and sustainable pricing in line with nearby comparable sales.
Access & Surroundings
The property benefits from easy access to:
Downtown Stanford – 5 minutes
Danville Retail District – 10 minutes
Centre College Campus – 10 minutes
Ephraim McDowell Hospital – 12 minutes
Lexington, KY – 45 minutes
Nearby amenities include shopping, dining, schools, parks, and healthcare services, making this an attractive residential setting for commuters and families seeking a balance between small-town living and regional connectivity.
Investment Summary
Asking Price: $750,000
Total Lots: 26
Total Acreage: ±20 acres
Zoning: Residential (Lincoln County)
Price per Lot: Approx. $28,800
Broker: Tanner Good, KYCB Commercial Brokers
This tract is offered free and clear of existing structures and can be purchased outright for immediate development or land banking. At an average of under $30,000 per planned lot, the site provides an attractive entry point relative to comparable subdivision-ready land in Central Kentucky.
Why It Matters
This offering aligns with the sustained regional push toward new residential development outside Lexington’s urban core. As housing costs in larger metros rise, markets such as Stanford, Danville, and Harrodsburg are absorbing new households seeking affordability, accessibility, and community-scale living.
Whether you are a builder, developer, or long-term investor, this 26-lot subdivision represents an excellent opportunity to participate in Central Kentucky’s next phase of growth.
For more information or to schedule a site tour, contact:
Tanner Good | Principal Broker
KYCB Commercial Brokers
129 N 4th St. Danville, KY
Danville, KY 40422
?? 859-339-8105 | ?? tanner@kycb.net
www.KYCB.net
PROPERTY FACTS
| Price | $1,046,940 CAD | Property Type | Land |
| Sale Type | Investment | Property Subtype | Commercial |
| Sale Conditions | Proposed Use | ||
| No. Lots | 1 | Total Lot Size | 19.43 AC |
| Price | $1,046,940 CAD |
| Sale Type | Investment |
| Sale Conditions | |
| No. Lots | 1 |
| Property Type | Land |
| Property Subtype | Commercial |
| Proposed Use | |
| Total Lot Size | 19.43 AC |
1 LOT AVAILABLE
Lot
| Price | $1,046,940 CAD | Lot Size | 19.43 AC |
| Price Per AC | $53,882.66 CAD |
| Price | $1,046,940 CAD |
| Price Per AC | $53,882.66 CAD |
| Lot Size | 19.43 AC |
26 approved residential lots on ±20 acres with utilities nearby. Gently rolling terrain minutes from Stanford and Danville. Ideal for builder or investor in a high-growth Central Kentucky corridor.
DESCRIPTION
Discover a prime residential development opportunity in Central Kentucky. This ±20-acre tract includes 26 approved lots positioned just outside Stanford, minutes from Danville’s retail, medical, and education centers. The land features gently rolling topography, utility access along KY-1273, and proximity to U.S. 27 for convenient travel to Lexington. Surrounded by established neighborhoods and strong employment growth from Centre College, Ephraim McDowell Health, and regional industries, this property is perfectly suited for a builder, developer, or investor seeking to meet growing housing demand in a fast-expanding market. Offered at $750,000, the site combines affordability, access, and future upside—an ideal foundation for the next residential community in Lincoln County.
Presented by
1116 KY Highway 1273 - 26-Lot Subdivision Opportunity | Undeveloped
Hmm, there seems to have been an error sending your message. Please try again.
Thanks! Your message was sent.
