Log In/Sign Up
Your email has been sent.
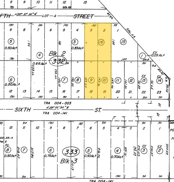
1129 E 6th St - PRIME MIX USE/ MULTI FAMILY /RETAIL MAIN ST 0.67 Acres of Commercial Land Offered at $4,015,050 CAD in Corona, CA 92879



EXECUTIVE SUMMARY
Ideal for multi -family ,reatail,live/work units just minutes from Corona Metrolink station And Major shopping centers
PROPERTY FACTS
1 LOT AVAILABLE
Lot
| Price | $4,015,050 CAD | Lot Size | 0.67 AC |
| Price Per AC | $6,021,370.84 CAD |
| Price | $4,015,050 CAD |
| Price Per AC | $6,021,370.84 CAD |
| Lot Size | 0.67 AC |
Prime Mixed Use Main st Corona C3 Zoning Multi Family Reatail use Stragegically lacated between 91 fry and 15 100+ meters street frontage front and rear access Suitable for developers, investors or owner users
1 1
PROPERTY TAXES
| Parcel Number | 117-332-016 | Improvements Assessment | $0 CAD |
| Land Assessment | $322,846 CAD | Total Assessment | $322,846 CAD |
PROPERTY TAXES
Parcel Number
117-332-016
Land Assessment
$322,846 CAD
Improvements Assessment
$0 CAD
Total Assessment
$322,846 CAD
1 of 6
VIDEOS
MATTERPORT 3D EXTERIOR
MATTERPORT 3D TOUR
PHOTOS
STREET VIEW
STREET
MAP
1 of 1
Presented by
ocleasinginc
1129 E 6th St - PRIME MIX USE/ MULTI FAMILY /RETAIL MAIN ST
Already a member? Log In
Hmm, there seems to have been an error sending your message. Please try again.
Thanks! Your message was sent.
