Log In/Sign Up
Your email has been sent.
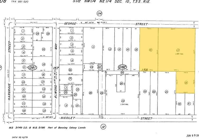
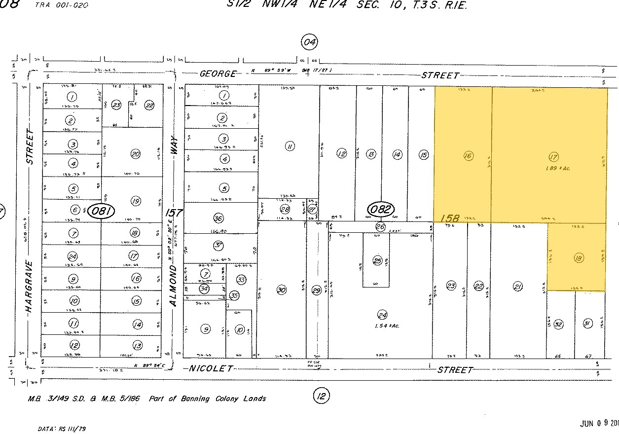
1130 E George St 2.7 Acres of Residential Land Offered at $1,506,681 CAD in Banning, CA 92220

Investment Highlights
- ACROSS FROM PARK
Executive Summary
TENTATIVE MAP IS APPROVED FOR 11 LOT READY TO DEVELOP.
Property Facts
| Price | $1,506,681 CAD | Property Subtype | Residential |
| Sale Type | Investment | Proposed Use | Single Family Development |
| No. Lots | 1 | Total Lot Size | 2.70 AC |
| Property Type | Land | Opportunity Zone |
Yes
|
| Zoning | R1 - SINGLE FAMILY HOME DEVELOPMENT FOR 11 LOTS | ||
| Price | $1,506,681 CAD |
| Sale Type | Investment |
| No. Lots | 1 |
| Property Type | Land |
| Property Subtype | Residential |
| Proposed Use | Single Family Development |
| Total Lot Size | 2.70 AC |
| Opportunity Zone |
Yes |
| Zoning | R1 - SINGLE FAMILY HOME DEVELOPMENT FOR 11 LOTS |
1 Lot Available
Lot
| Price | $1,506,681 CAD | Lot Size | 2.70 AC |
| Price Per AC | $558,029.99 CAD |
| Price | $1,506,681 CAD |
| Price Per AC | $558,029.99 CAD |
| Lot Size | 2.70 AC |
GREAT FOR SINGLE FAMILY HOME DEVELOPMENT. 11 LOTS IN BOOMING BANNING.ALL UTILITIES ARE ON THE SITE .ONE LOT FACING GEORGE ST AND ONE LOT FACING NICOLETT ST ALMOST 2.7 ACRES. TENTATIVE MAP IS APPROVED READY FOR DEVELOPMENT
Description
TENTATIVE MAP IS APPROVED FOR 11 LOTS.
1 1
Somewhat walkable
30/100
Exceptionally drivable
100/100
Limited public transit
30/100
Somewhat bikeable
30/100
Property Taxes
| Parcel Numbers | Improvements Assessment | $0 CAD | |
| Land Assessment | $144,541 CAD | Total Assessment | $144,541 CAD |
Property Taxes
Parcel Numbers
Land Assessment
$144,541 CAD
Improvements Assessment
$0 CAD
Total Assessment
$144,541 CAD
1 of 2
Videos
Matterport 3D Exterior
Matterport 3D Tour
Photos
Street View
Street
Map
1 of 1
Presented by
Cal-Top Realty & Investments
1130 E George St
Already a member? Log In
Hmm, there seems to have been an error sending your message. Please try again.
Thanks! Your message was sent.
