Log In/Sign Up
Your email has been sent.
1131 Vista Del Lago Dr
Tempe, AZ 85288
Lot 2 South Pier-Tempe Town Lake · Land For Sale
·
2.40 AC


Investment Highlights
- Located in the heart of Tempe, Tempe Town Lake is Arizona's second-most visited public attraction.
Executive Summary
Four prime lots for sale in South Pier at Tempe Town Lake — a premier mixed-use development featuring retail, multifamily, office, and entertainment. Lot 2 is currently entitled for 601,224 square feet of office/retail space and 717,834 square feet of parking space. Call for pricing.
Property Facts
1 Lot Available
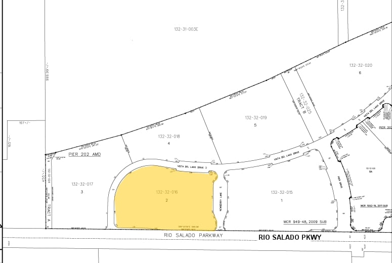
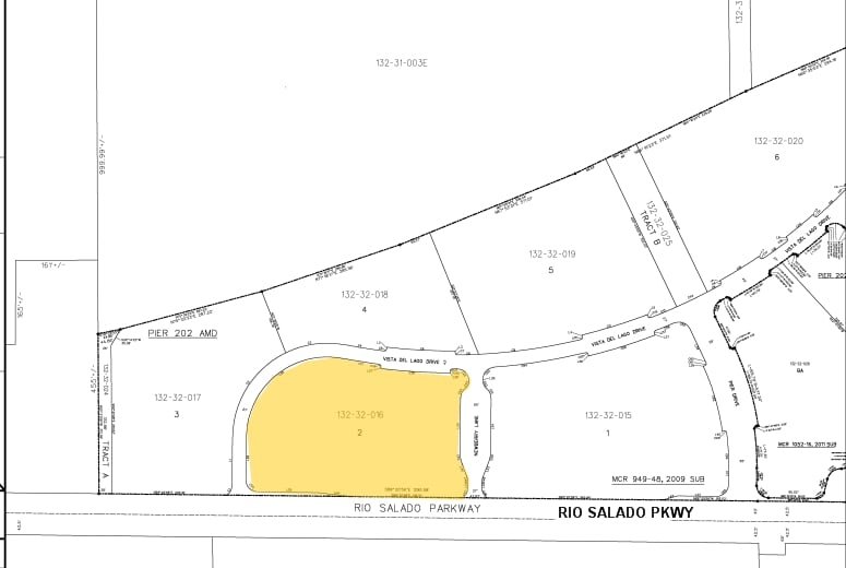
Lot 2
| Lot Size | 2.40 AC |
| Lot Size | 2.40 AC |
Lot entitled for 601,224 square feet of office/retail space and 717,834 square feet of parking space.
Description
Four prime lots for sale in South Pier at Tempe Town Lake — A premier mixed-use development featuring retail, multifamily, office, and entertainment.
Property Taxes
| Parcel Number | 132-32-016 | Improvements Assessment | $0 CAD |
| Land Assessment | $61,554 CAD | Total Assessment | $61,554 CAD |
Property Taxes
Parcel Number
132-32-016
Land Assessment
$61,554 CAD
Improvements Assessment
$0 CAD
Total Assessment
$61,554 CAD
1 of 3
Videos
Matterport 3D Exterior
Matterport 3D Tour
Photos
Street View
Street
Map
