Log In/Sign Up
Your email has been sent.
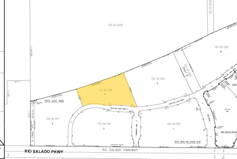
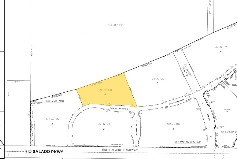
1136 E Vista del Lago Dr
Tempe, AZ 85288
Lot 4 South Pier-Tempe Town Lake · Land For Sale
·
1.45 AC


Investment Highlights
- Located in the heart of Tempe, Tempe Town Lake is Arizona's second-most visited public attraction.
Executive Summary
Four prime lots for sale in South Pier at Tempe Town Lake — a premier mixed-use development featuring retail, multifamily, office, and entertainment. Lot 4 is currently entitled for 196,000 square feet of hospitality space with 300 hotel keys and 80 multifamily units for 97,200 square feet. Entitlement also includes 153,900 square feet for parking. Call for pricing.
Property Facts
1 Lot Available
Lot 4
| Lot Size | 1.45 AC |
| Lot Size | 1.45 AC |
Lot entitled for 300 hotel keys (196,000 SF) and 80 multifamily units (97,200 SF) and Parking (153,900 SF).
Property Taxes
| Parcel Number | 132-32-018 | Improvements Assessment | $0 CAD |
| Land Assessment | $46,672 CAD | Total Assessment | $46,672 CAD |
Property Taxes
Parcel Number
132-32-018
Land Assessment
$46,672 CAD
Improvements Assessment
$0 CAD
Total Assessment
$46,672 CAD
1 of 3
Videos
Matterport 3D Exterior
Matterport 3D Tour
Photos
Street View
Street
Map
