Your email has been sent.
1138 S Bryant Ave
Edmond, OK 73034
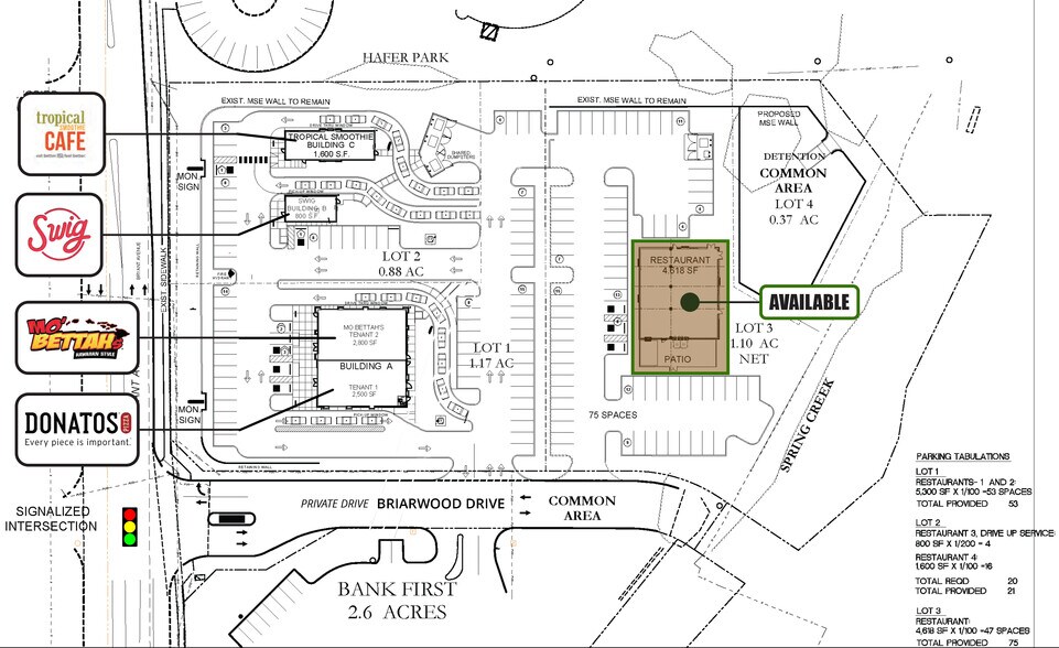
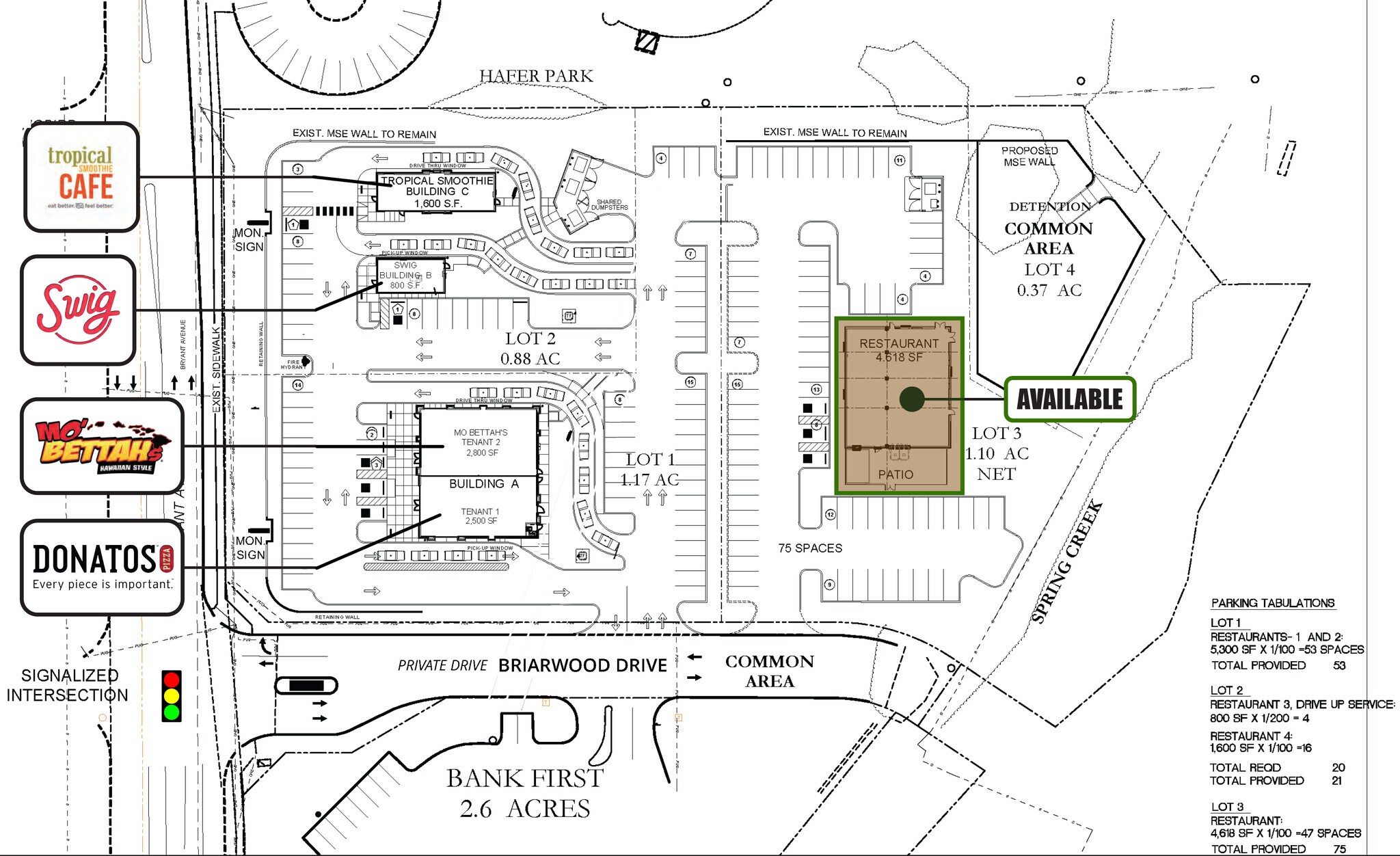
Spring Creek Village Outlot · Land For Lease


Highlights
- Prime medical use location at SE 15th and Bryant Avenue
- Site is graded and compacted
- Stormwater detention is completed
- High-traffic area with excellent visibility and accessibility
- Signal and access street installed
- All utilities are installed
Property Overview
Lot 3 located at the highly sought-after intersection of SE 15th and Bryant Avenue in Edmond, OK. Situated in one of Edmond's most desirable areas, this outparcel site is surrounded by a thriving retail and dining hub, including popular restaurants like Tropical Smoothie Cafe, Swig, Mo’ Bettah, and Donato’s Pizza. With this high-traffic location, your business will benefit from exceptional visibility and access, making it ideal for medical use or other professional services. Edmond is renowned for its outstanding quality of life, combining the charm of historic shopping areas with modern amenities. The city offers top-notch hotels, convenient attractions, championship golf courses, and beautiful public art on almost every corner.
