Your email has been sent.
Investment Highlights
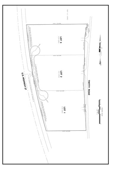
- Prime 19.19± Acres B-3 Commercial Land on the Highway
- Two RV Hookups – flexible usage
- Dual Road Access from US 27 & Twitty Road
Property Facts
| Price | $3,942,654 CAD | Property Subtype | Commercial |
| Sale Type | Investment | Total Lot Size | 19.19 AC |
| No. Lots | 1 | Opportunity Zone |
Yes
|
| Property Type | Land | ||
| Zoning | B3 | ||
| Price | $3,942,654 CAD |
| Sale Type | Investment |
| No. Lots | 1 |
| Property Type | Land |
| Property Subtype | Commercial |
| Total Lot Size | 19.19 AC |
| Opportunity Zone |
Yes |
| Zoning | B3 |
1 Lot Available
Lot
| Price | $3,942,654 CAD | Lot Size | 19.19 AC |
| Price Per AC | $205,453.56 CAD |
| Price | $3,942,654 CAD |
| Price Per AC | $205,453.56 CAD |
| Lot Size | 19.19 AC |
A SUB OF W 1/2 OF NW 1/4 OF SEC 34 TB PG 41 S 1089 FT OF N 1324 FT OF NW 1/4 OF NW 1/4 E OF US 27-LESS E 400 FT W OF TWITTY RD 34-35-29/030/10 6.14 ACRES
Description
Prime 19.19± Acres B-3 Commercial Land on the Highway. ¦ Dual Road Access from US 27 & Twitty Road – excellent visibility & traffic flow ¦ Includes House with Pool and a Fully Solar-Powered Casita, 1 Bed 2 Bath. ¦ Two Solar Water Wells supporting sustainable living ¦ Two RV Hookups – flexible usage for visitors or temporary stays ¦ Lush Garden with Mature Fruit Trees ¦ Ideally located between Mini-Storage Facility (south) & Mobile Home Park (north) ¦¦ Minutes from Sebring International Raceway & close to Sebring amenities This property combines the advantages of prime B-3 commercial zoning with unique on-site features, offering unmatched development potential.
Property Taxes
| Parcel Numbers | Improvements Assessment | $0 CAD | |
| Land Assessment | $184,722 CAD | Total Assessment | $639,254 CAD |
Property Taxes
Presented by
11400 Us-27 Highway S
Hmm, there seems to have been an error sending your message. Please try again.
Thanks! Your message was sent.



