Your email has been sent.
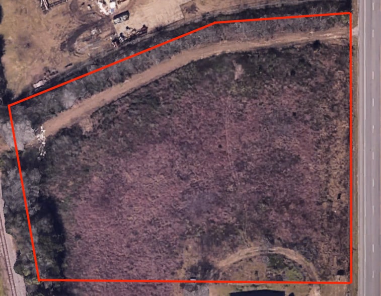
115 Highway 145 N 2 Acres of Industrial Land Offered at $2,354,347 CAD in Texas City, TX 77590



INVESTMENT HIGHLIGHTS
- Ideal for load-intensive projects
- Site can be energized in 6 months
- 17 MW FEA included
EXECUTIVE SUMMARY
- Extremely well located on Highway 146 at Texas Ave., the primary Texas City Corridor
- 2 acres with Frontage on Highway 145 N
- Cross streets: Emmitt F. Lowery Expressway
- Utilities
- Cheap and readily available power (under $0.04/kWh)
- Site can be energized within 6 months
- Property lease: $5,900/month
- Prime investment opportunity for digital infrastructure
- Great industrial development site
DATA ROOM Click Here to Access
PROPERTY FACTS
1 LOT AVAILABLE
Lot
| Price | $2,354,347 CAD | Lot Size | 2.00 AC |
| Price Per AC | $1,177,173.49 CAD |
| Price | $2,354,347 CAD |
| Price Per AC | $1,177,173.49 CAD |
| Lot Size | 2.00 AC |
2-acre greenfield site. This project comes with a 17MW power agreement with the local utility company, making it an ideal site for load-intensive projects, such as cryptocurrency mining, data centers, battery storages, and similar applications.
DESCRIPTION
This property is a greenfield site that has not been previously developed and presents an ideal blank slate for new construction. This project comes with a 17MW power agreement with the local utility company, making it an ideal site for load-intensive projects, such as cryptocurrency mining, data centers, battery storages, and similar applications. - The site is extremely well located with frontage on Highway 145 N - Cross streets: Emmitt F. Lowery Expressway
PROPERTY TAXES
| Parcel Number | 4424-0020-0100-003 | Improvements Assessment | $0 CAD |
| Land Assessment | $246,894 CAD | Total Assessment | $246,894 CAD |
PROPERTY TAXES
Presented by
115 Highway 145 N
Hmm, there seems to have been an error sending your message. Please try again.
Thanks! Your message was sent.

