Log In/Sign Up
Your email has been sent.
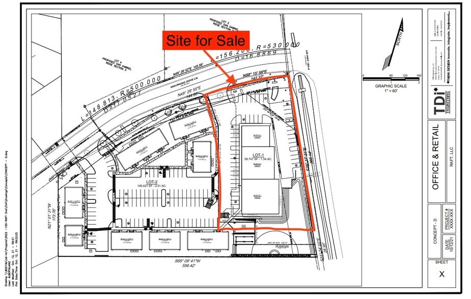
115 Mourning Dove Ln 1.39 Acres of Commercial Land in Leander, TX 78641



Investment Highlights
- All utilities available on site
- All easement has been recorded with city
- Hard corner
Executive Summary
Zoning - C3
Utilities available on-site
Good for retail and other uses except gas stations
Corner of Mourning Dove & HWY 183
No Detention Required
Shared Water Quality Retention
Water, Waste-Water
Electric Lines to Site
Shared Driveway with Office / Condos
Excellent visibility from Hwy 183
Full utilities are available
Close proximities to Hwy 183 and Hwy 29 intersection
Utilities available on-site
Good for retail and other uses except gas stations
Corner of Mourning Dove & HWY 183
No Detention Required
Shared Water Quality Retention
Water, Waste-Water
Electric Lines to Site
Shared Driveway with Office / Condos
Excellent visibility from Hwy 183
Full utilities are available
Close proximities to Hwy 183 and Hwy 29 intersection
Property Facts
1 Lot Available
Lot
| Lot Size | 1.39 AC |
| Lot Size | 1.39 AC |
For queries and/or offers, please contact: IMTIAZ ALI, Director | Investment Sales - (512) 955-4292, ali@alisoncre.com Kristine, Client Services Executive - (346) 486-0537, info@alisoncre.com
1 1
1 of 8
Videos
Matterport 3D Exterior
Matterport 3D Tour
Photos
Street View
Street
Map
1 of 1
Presented by
115 Mourning Dove Ln
Already a member? Log In
Hmm, there seems to have been an error sending your message. Please try again.
Thanks! Your message was sent.
