Log In/Sign Up
Your email has been sent.
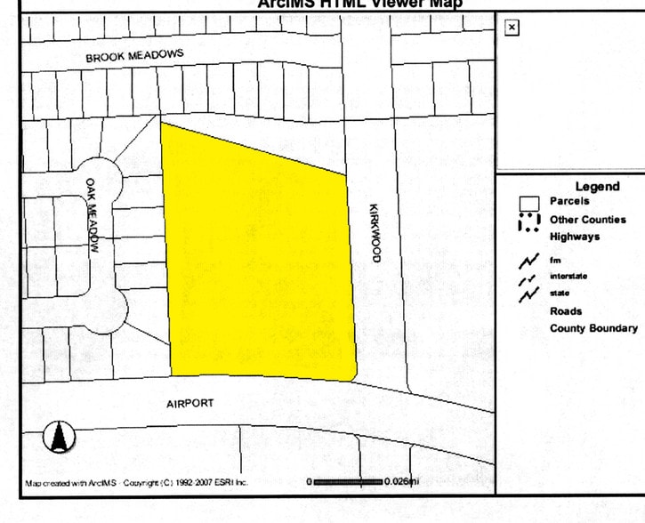
11720 W Airport Blvd
Stafford, TX 77477
Meadows Place Pad Site · Land For Sale
·
0.50 AC


PROPERTY FACTS
| Sale Type | Investment | Proposed Use | |
| No. Lots | 1 | Total Lot Size | 0.50 AC |
| Property Type | Land | Cross Streets | Airport Blvd |
| Property Subtype | Commercial | ||
| Zoning | C-1 | ||
| Sale Type | Investment |
| No. Lots | 1 |
| Property Type | Land |
| Property Subtype | Commercial |
| Proposed Use | |
| Total Lot Size | 0.50 AC |
| Cross Streets | Airport Blvd |
| Zoning | C-1 |
1 LOT AVAILABLE
Lot
| Lot Size | 0.50 AC |
| Lot Size | 0.50 AC |
Pad Site For Sale Or Land Lease, Ground Lease
PROPERTY TAXES
| Parcel Number | 0101-00-000-1270-907 | Improvements Assessment | $4,144,883 CAD |
| Land Assessment | $1,969,450 CAD | Total Assessment | $6,114,333 CAD |
PROPERTY TAXES
Parcel Number
0101-00-000-1270-907
Land Assessment
$1,969,450 CAD
Improvements Assessment
$4,144,883 CAD
Total Assessment
$6,114,333 CAD
1 of 5
VIDEOS
MATTERPORT 3D EXTERIOR
MATTERPORT 3D TOUR
PHOTOS
STREET VIEW
STREET
MAP
