Log In/Sign Up
Your email has been sent.
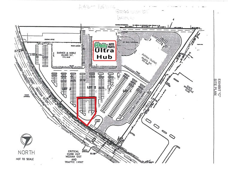
1200 BLK Airport Blvd
Pensacola, FL 32504
Land For Lease


Highlights
- Excellent +/- .44 acre ground lease or build-to-suit opportunity
- Great visibility to 37,500 VPD with a signalized intersection
- Within 10 minutes of the new $636M Baptist Hospital, Pensacola Christian College, Pensacola International Airport, and Cordova Mall
Property Overview
+/- .44 acres ground lease or build-to-suit outparcel in Pensacola, Florida. The site is adjacent to retailers Barnes & Noble, O’Reilly Auto Parts Ultra Hub, and Ashley Outlet. The property is within minutes of Pensacola International Airport, Cordova Mall, Sacred Heart Hospital, local schools, and the new $636M Baptist Hospital. Nearby national retailers include Publix, Target, Lowe’s, Dicks Sporting Goods, Hobby Lobby, Big Lots, Walmart, Winn Dixie, Dollar Tree, CVS, Walgreens, Starbucks, and many more.
Property Facts
1 of 15
Videos
Matterport 3D Exterior
Matterport 3D Tour
Photos
Street View
Street
Map
