Log In/Sign Up
Your email has been sent.
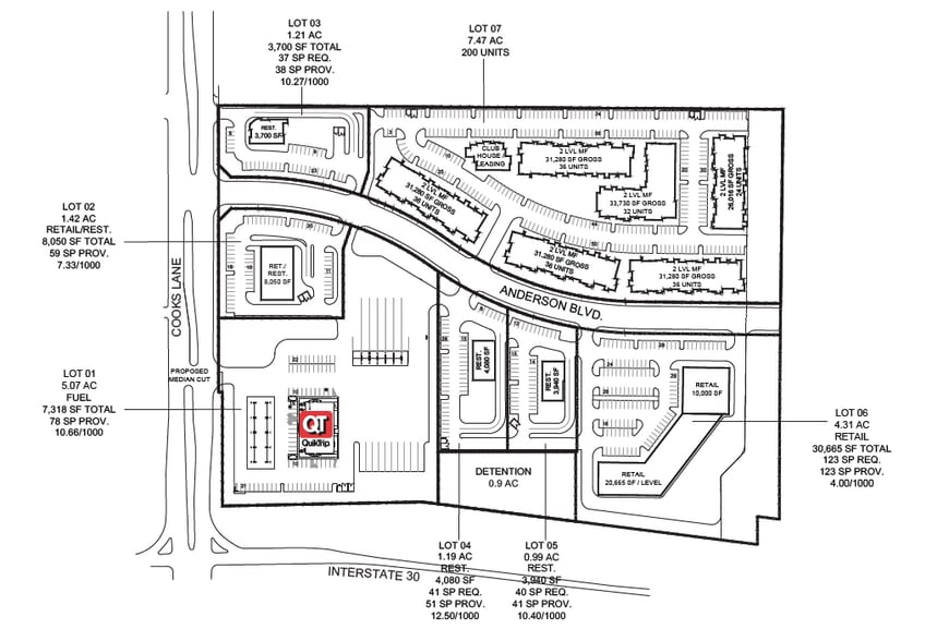
1201 Cooks Lane - QuikTrip Travel Center Anchored Pads 24.5 Acres of Commercial Land in Fort Worth, TX 76120


Investment Highlights
- 24.5 acres
- Proximity to multiple major thoroughfares and highways
- Excellent highway frontage and visibility
- QuikTrip Travel Center Anchored
Property Facts
| Sale Type | Investment | Proposed Use | |
| No. Lots | 1 | Total Lot Size | 7.47 AC |
| Property Type | Land | Cross Streets | I-30 |
| Property Subtype | Commercial | ||
| Zoning | E Commercial - Zoned “E” Neighborhood Commercial | ||
| Sale Type | Investment |
| No. Lots | 1 |
| Property Type | Land |
| Property Subtype | Commercial |
| Proposed Use | |
| Total Lot Size | 7.47 AC |
| Cross Streets | I-30 |
| Zoning | E Commercial - Zoned “E” Neighborhood Commercial |
1 Lot Available
Lot
| Lot Size | 24.50 AC |
| Lot Size | 24.50 AC |
Description
I-30 & Cooks Ln (“Property”) is located in the primary retail corridor of Far East Fort Worth, Texas at the northeast corner of Interstate 30 and Cooks Lane with traffic counts exceeding 140,000 CPD. The Property is located west of Eastchase Village, featuring tenants such as Walmart, Sam’s Club, Lowe’s Home Improvement and CarMax. Eastchase Market is located south of the same intersection with a strong roster of national tenants including AMC Theatres, Target, Ross, Marshalls, Office Depot, Dollar Tree, Spec’s and Aldi, among others.
1 1
Property Taxes
| Parcel Number | 05309794 | Improvements Assessment | $0 CAD |
| Land Assessment | $1,069,305 CAD | Total Assessment | $1,069,305 CAD |
Property Taxes
Parcel Number
05309794
Land Assessment
$1,069,305 CAD
Improvements Assessment
$0 CAD
Total Assessment
$1,069,305 CAD
1 of 3
Videos
Matterport 3D Exterior
Matterport 3D Tour
Photos
Street View
Street
Map
1 of 1
Presented by
1201 Cooks Lane - QuikTrip Travel Center Anchored Pads
Already a member? Log In
Hmm, there seems to have been an error sending your message. Please try again.
Thanks! Your message was sent.
