Your email has been sent.
Highlights
- 7,240 SF endcap space available—formerly a restaurant with flexible build-out potential.
- Ideal for restaurant, medical, or retail use with heavy foot traffic and cross-shopping.
- Excellent signage and accessibility in a major retail trade area.
- Located in Osceola Corporate Center, anchored by strong national brands.
- Surrounded by top-tier retailers like BJ’s, Lowe’s, Marshalls, Burlington, and HomeGoods.
Space Availability (1)
Display Rental Rate as
- Space
- Size
- Term
- Rental Rate
- Rent Type
| Space | Size | Term | Rental Rate | Rent Type | ||
| 1st Floor | 7,240 SF | Negotiable | Upon Request Upon Request Upon Request Upon Request | TBD |
1st Floor
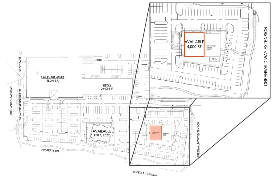
Now available for lease, this 7,240 SF former restaurant space offers an exceptional opportunity within the Osceola Corporate Center, a vibrant retail hub in a high-traffic corridor. The space is ideal for a wide range of food and beverage concepts or adaptive reuse for medical, retail, or specialty service tenants.
- Fully Built-Out as a Restaurant or Café Space
- Space is an outparcel at this property
- Central Air Conditioning
- Great location.
- 7,240 SF endcap space - formerly a restaurant
- Anchored by strong national brands
Rent Types
The rent amount and type that the tenant (lessee) will be responsible to pay to the landlord (lessor) throughout the lease term is negotiated prior to both parties signing a lease agreement. The rent type will vary depending upon the services provided. For example, triple net rents are typically lower than full service rents due to additional expenses the tenant is required to pay in addition to the base rent. Contact the listing broker for a full understanding of any associated costs or additional expenses for each rent type.
1. Full Service: A rental rate that includes normal building standard services as provided by the landlord within a base year rental.
2. Double Net (NN): Tenant pays for only two of the building expenses; the landlord and tenant determine the specific expenses prior to signing the lease agreement.
3. Triple Net (NNN): A lease in which the tenant is responsible for all expenses associated with their proportional share of occupancy of the building.
4. Modified Gross: Modified Gross is a general type of lease rate where typically the tenant will be responsible for their proportional share of one or more of the expenses. The landlord will pay the remaining expenses. See the below list of common Modified Gross rental rate structures: 4. Plus All Utilities: A type of Modified Gross Lease where the tenant is responsible for their proportional share of utilities in addition to the rent. 4. Plus Cleaning: A type of Modified Gross Lease where the tenant is responsible for their proportional share of cleaning in addition to the rent. 4. Plus Electric: A type of Modified Gross Lease where the tenant is responsible for their proportional share of the electrical cost in addition to the rent. 4. Plus Electric & Cleaning: A type of Modified Gross Lease where the tenant is responsible for their proportional share of the electrical and cleaning cost in addition to the rent. 4. Plus Utilities and Char: A type of Modified Gross Lease where the tenant is responsible for their proportional share of the utilities and cleaning cost in addition to the rent. 4. Industrial Gross: A type of Modified Gross lease where the tenant pays one or more of the expenses in addition to the rent. The landlord and tenant determine these prior to signing the lease agreement.
5. Tenant Electric: The landlord pays for all services and the tenant is responsible for their usage of lights and electrical outlets in the space they occupy.
6. Negotiable or Upon Request: Used when the leasing contact does not provide the rent or service type.
7. TBD: To be determined; used for buildings for which no rent or service type is known, commonly utilized when the buildings are not yet built.
Site Plan
Property Facts
| Total Space Available | 7,240 SF | Year Built | 2027 |
| Property Type | Retail | Construction Status | Proposed |
| Gross Leasable Area | 7,300 SF |
| Total Space Available | 7,240 SF |
| Property Type | Retail |
| Gross Leasable Area | 7,300 SF |
| Year Built | 2027 |
| Construction Status | Proposed |
About the Property
Join nationally recognized co-tenants including Ashley Furniture, Mattress Firm, Suncoast Credit Union, and PM Pediatric Urgent Care, with strong daily foot traffic and regional draw. The center is surrounded by a robust mix of national retailers such as BJ's Wholesale Club, Lowe's, Hobby Lobby, Marshalls, Ross, and Nike, positioning this site for immediate visibility and success.
Nearby Major Retailers
Presented by
1201 W Osceola Pky
Hmm, there seems to have been an error sending your message. Please try again.
Thanks! Your message was sent.





