Log In/Sign Up
Your email has been sent.
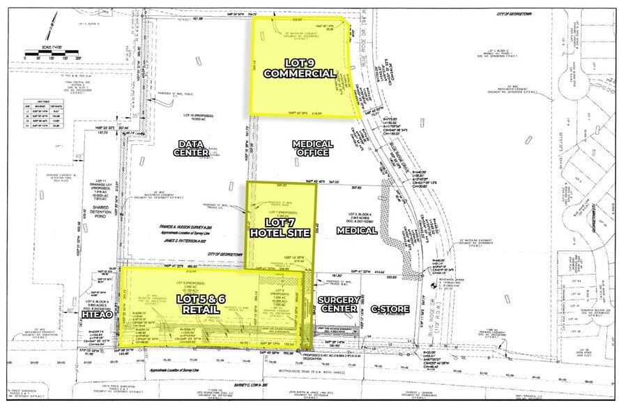
Executive Summary
Located along Westinghouse Rd near the border of Georgetown and Round Rock.
The site has great access to the Round Rock Outlets, HEB, IKEA, and the hospital systems located on University Dr. This parcel is surrounded on two sides by the large Teravista community and adjacent to 350 units of apartments.
Approx.1,800 ft of frontage along Westinghouse Rd.
The site has great access to the Round Rock Outlets, HEB, IKEA, and the hospital systems located on University Dr. This parcel is surrounded on two sides by the large Teravista community and adjacent to 350 units of apartments.
Approx.1,800 ft of frontage along Westinghouse Rd.
Property Facts
1 Lot Available
Lot
| Lot Size | 15.00 AC |
| Lot Size | 15.00 AC |
C-3 General Commercial
1 1
Somewhat walkable
30/100
Very drivable
80/100
Fairly bikeable
40/100
1 of 5
Videos
Matterport 3D Exterior
Matterport 3D Tour
Photos
Street View
Street
Map
1 of 1
Presented by
1201 Westinghouse Rd - Windmill Hill - C3
Already a member? Log In
Hmm, there seems to have been an error sending your message. Please try again.
Thanks! Your message was sent.



